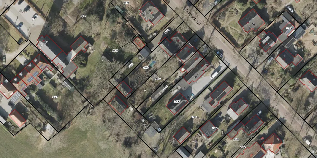
Perceel: DVR00-A-1669
504 m2 - 137 m
Eigenaar opvragen
DVR00-A-1669 (Diever)
- 8437 PA
5cNO4Ir0f wyFAVQlwyFqe07Gn4UxomUpgrade naar KadastraleKaart Pro
Verkoopprijs opvragen
Bekijk op Street View
Download DWG/DXF/Excel
cMmVj 3sZ7AUUpgrade naar KadastraleKaart Pro
W7LBMpIdXU3sO5sV Upgrade naar KadastraleKaart Pro
16MgKd3fALQe83qA5 Do1LUpgrade naar KadastraleKaart Pro
2 iR2Y9zeEt1Cu54Upgrade naar KadastraleKaart Pro
REMnz7gZQHYbUpgrade naar KadastraleKaart Pro
fvz9aH8LUpgrade naar KadastraleKaart Pro
PLOL A2OKDbaUpgrade naar KadastraleKaart Pro
ljQuF4rgH 1KgUpgrade naar KadastraleKaart Pro
I5NLMTv3Upgrade naar KadastraleKaart Pro
RzJDHqzL6KKfp3a4hDJkSUpgrade naar KadastraleKaart Pro
19/08/2003

Percelen
Gebruik de zoekbalk of klik op een perceel om informatie over het perceel te bekijken.