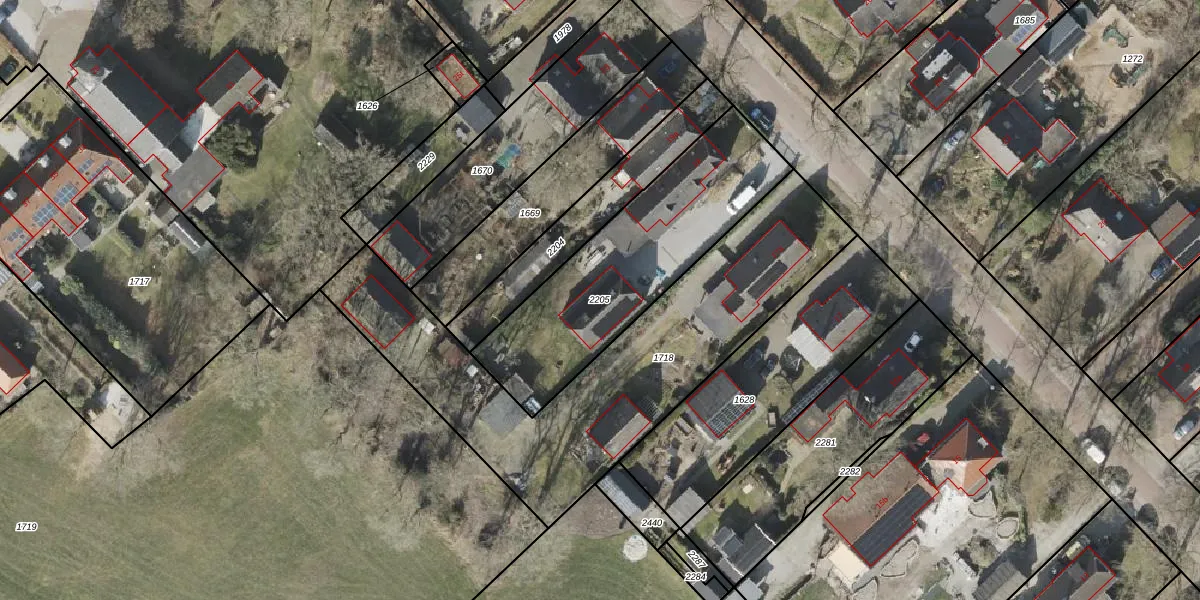
Perceel: DVR00-A-2205
881 m2 - 150 m
Eigenaar opvragen
DVR00-A-2205 (Diever)
- 8437 PA
70BFMMPKg7JgpzJ3i9b w0iMDQUpgrade naar KadastraleKaart Pro
Verkoopprijs opvragen
Bekijk op Street View
Download DWG/DXF/Excel
JLoD1CFs UKUpgrade naar KadastraleKaart Pro
Au9DwdDK 0HUpgrade naar KadastraleKaart Pro
64AyFCj LX1AZobbxxDUpgrade naar KadastraleKaart Pro
x ANsjw7A1UD TOo SUpgrade naar KadastraleKaart Pro
Qogqlna 6S Nc5Upgrade naar KadastraleKaart Pro
5sAV Xx jJUpgrade naar KadastraleKaart Pro
OfWyYZo64mrTP QmsPaUpgrade naar KadastraleKaart Pro
NoOLtEeN10mvQ6 9WP05p yUpgrade naar KadastraleKaart Pro
fEs4IjIRe2w4vYUpgrade naar KadastraleKaart Pro
o9jpvY kyUpgrade naar KadastraleKaart Pro
19/08/2003

Percelen
Gebruik de zoekbalk of klik op een perceel om informatie over het perceel te bekijken.