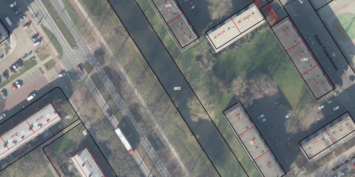
Perceel: DVT00-F-2789
Geen adressen bij dit perceel
2.345 m2 - 395 m
Eigenaar opvragen
DVT00-F-2789 (Deventer)
- Geen postcode aanwezig
KNFvDvGueLmV CTlUpgrade naar KadastraleKaart Pro
Bekijk op Street View
Download DWG/DXF/Excel
6yLZkIeLSlOUz4dw 5uZcKUpgrade naar KadastraleKaart Pro
jCiysyUWiUpgrade naar KadastraleKaart Pro
hF 6xZgBxqKdqGkRtMUpgrade naar KadastraleKaart Pro
lOZRA1M 3XDGT7 NQ lUpgrade naar KadastraleKaart Pro
OVzzguz1Upgrade naar KadastraleKaart Pro
F WSyrSZemYQaRZiAVLRpjUpgrade naar KadastraleKaart Pro
xMAaAwrwUpgrade naar KadastraleKaart Pro
CM2u31bbFxcsHfeTkUpgrade naar KadastraleKaart Pro
N 7Piwo4gLUhh oiKmeAAzUpgrade naar KadastraleKaart Pro
7i2n60bg7pqygXUpgrade naar KadastraleKaart Pro
05/11/2002

Percelen
Gebruik de zoekbalk of klik op een perceel om informatie over het perceel te bekijken.