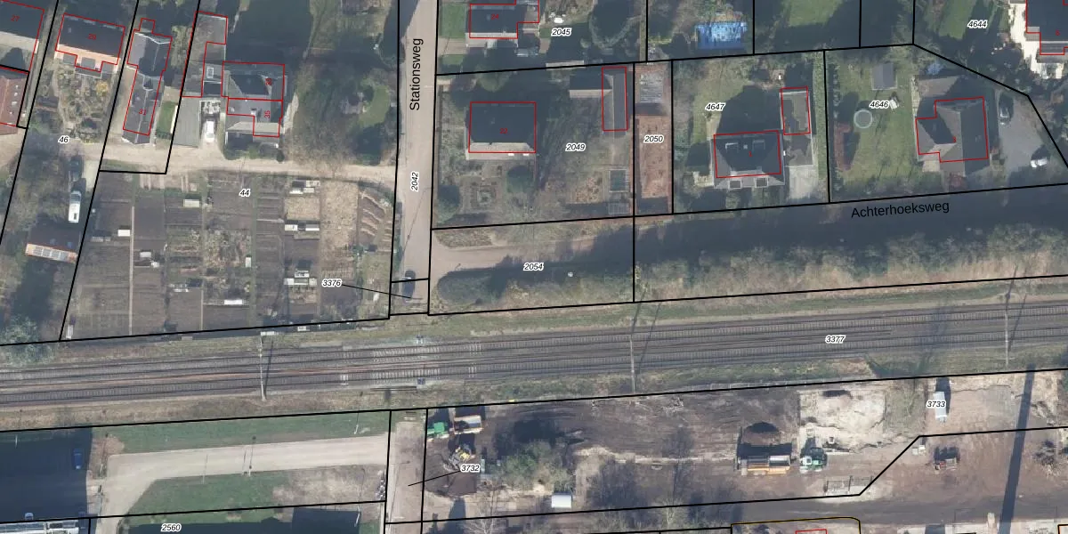
Perceel: DVT00-L-2054
Geen adressen bij dit perceel
610 m2 - 109 m
Eigenaar opvragen
DVT00-L-2054 (Deventer)
- Geen postcode aanwezig
QhL8oQEaPWMx1iF1vUpgrade naar KadastraleKaart Pro
Bekijk op Street View
Download DWG/DXF/Excel
K3KKdgqBaM6xYKtXeYZDUpgrade naar KadastraleKaart Pro
9C2a3JuLaUJcyWuuIUpgrade naar KadastraleKaart Pro
jCgJB67ipMk YUpgrade naar KadastraleKaart Pro
2J1VbOCURud2tUpgrade naar KadastraleKaart Pro
IbtDdWIQdW5S1YpbOn WwTUpgrade naar KadastraleKaart Pro
flMOzM0Yd0w0sRUpgrade naar KadastraleKaart Pro
HM8LljsnCFUpgrade naar KadastraleKaart Pro
2ckSGGXOdIbxFQbUpgrade naar KadastraleKaart Pro
cxRy0aPdxpP 6Jm2YsfkUpgrade naar KadastraleKaart Pro
Mao9K1DKorm 6GhUpgrade naar KadastraleKaart Pro
22/10/2007

Percelen
Gebruik de zoekbalk of klik op een perceel om informatie over het perceel te bekijken.