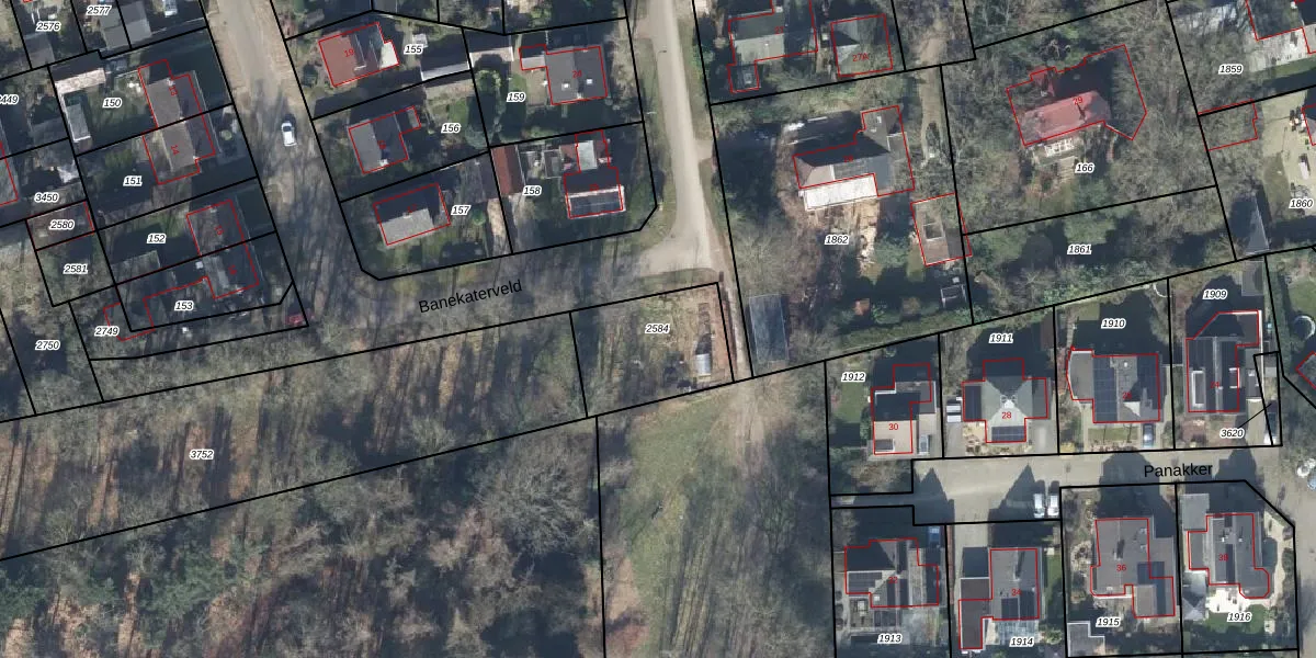
Perceel: DVT00-M-2584
Geen adressen bij dit perceel
363 m2 - 78 m
Eigenaar opvragen
DVT00-M-2584 (Deventer)
- Geen postcode aanwezig
v KU 2N KLNz2hzKHUpgrade naar KadastraleKaart Pro
Bekijk op Street View
Download DWG/DXF/Excel
RDBeXqzrQQo Sj59Upgrade naar KadastraleKaart Pro
SV8 n3qdQUpgrade naar KadastraleKaart Pro
TPCccdAizHpXees5Upgrade naar KadastraleKaart Pro
ybo5Bjwot Upgrade naar KadastraleKaart Pro
XPyPCInP1e zJz IZUpgrade naar KadastraleKaart Pro
qzRS7bqYyIf ro5z PbzPHUpgrade naar KadastraleKaart Pro
BCD9 Isp DW3tUpgrade naar KadastraleKaart Pro
VZDGNdXQ HB7Y5Upgrade naar KadastraleKaart Pro
MMAH OuT0uGAwo Upgrade naar KadastraleKaart Pro
4M5ooPte26GpI 4ftG jUpgrade naar KadastraleKaart Pro
03/09/2007

Percelen
Gebruik de zoekbalk of klik op een perceel om informatie over het perceel te bekijken.