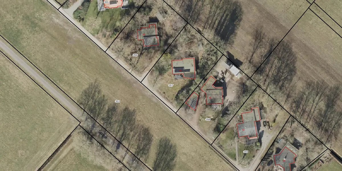
Perceel: DWD00-C-357
KadastraleKaart.com kan meer dan je denktOntdek meer ›
Filter op bestemming 50+ datasets Eigendomsdata in één klik Percelen CRM
1.250 m2 - 144 m
Eigenaar opvragen
DWD00-C-357 (Duurswoude)
- 9241 GZ
TqIp2O5qDiOBiRvTXR738PUpgrade naar KadastraleKaart Pro
Verkoopprijs opvragen
Bekijk op Street View
Download DWG/DXF/Excel
4K1mMLl9zkUpgrade naar KadastraleKaart Pro
kyZT0diM oz Seuo ClUpgrade naar KadastraleKaart Pro
9Z9dnPqQgl9NJ0NUpgrade naar KadastraleKaart Pro
5PojE6MopIUpgrade naar KadastraleKaart Pro
soxLUqB47XsYIUpgrade naar KadastraleKaart Pro
1a PDQ eGqUpgrade naar KadastraleKaart Pro
3bwMOtf99cu4DxzZ bHF4HUpgrade naar KadastraleKaart Pro
19eql yFk4ZBMv8Upgrade naar KadastraleKaart Pro
QIihTbIkAJhzi15i 49Upgrade naar KadastraleKaart Pro
4laMqBpB eQ3LWQxUpgrade naar KadastraleKaart Pro
04/04/2001

Percelen
Gebruik de zoekbalk of klik op een perceel om informatie over het perceel te bekijken.