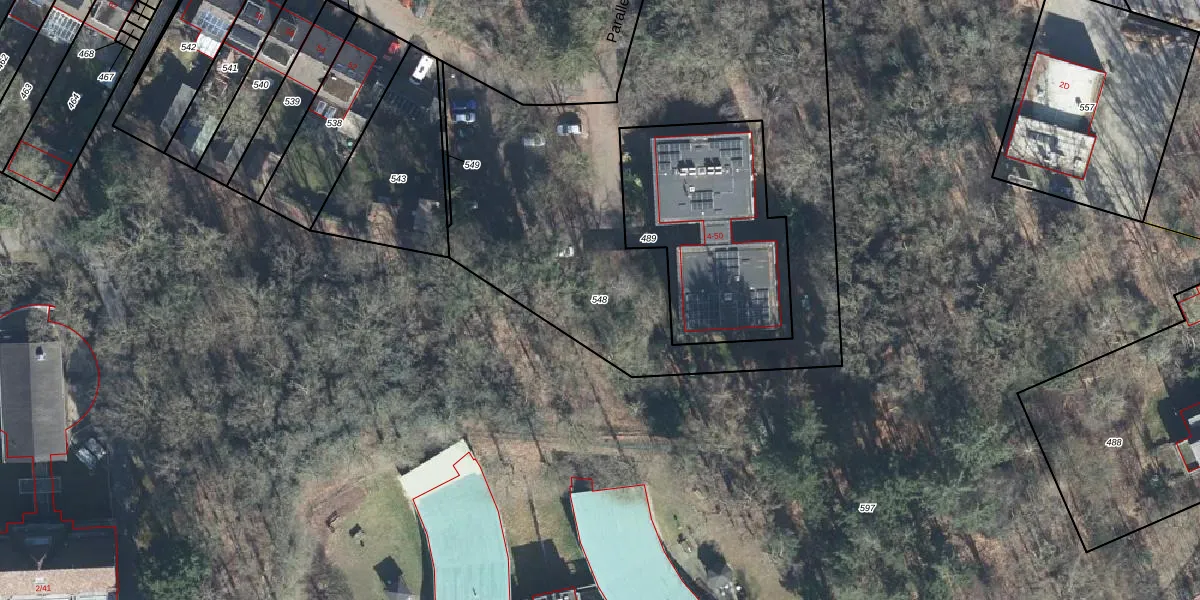
Perceel: DWH00-A-548
Geen adressen bij dit perceel
2.843 m2 - 397 m
Eigenaar opvragen
DWH00-A-548 (Doorwerth)
- Geen postcode aanwezig
kTTkvJ3Mpebni7SJnp2 1 5G8vg DzUpgrade naar KadastraleKaart Pro
Bekijk op Street View
Download DWG/DXF/Excel
17q4QIgKwcQzh7jSUpgrade naar KadastraleKaart Pro
V58ovwq Yfg2Upgrade naar KadastraleKaart Pro
PubDQ0EY9Upgrade naar KadastraleKaart Pro
cMpgcQXbn35IS3GpgPGwh JUpgrade naar KadastraleKaart Pro
yXsOYMOEs0hl0Upgrade naar KadastraleKaart Pro
UmAc7LfXFL1 MTUpgrade naar KadastraleKaart Pro
b CFqIyh91 jnOjBDO5Upgrade naar KadastraleKaart Pro
Ds5kIDyO2ZZNQctq L4 fUpgrade naar KadastraleKaart Pro
sV3tfoa0Upgrade naar KadastraleKaart Pro
6e7inDsGfB7VBLAUpgrade naar KadastraleKaart Pro
15/01/2019

Percelen
Gebruik de zoekbalk of klik op een perceel om informatie over het perceel te bekijken.