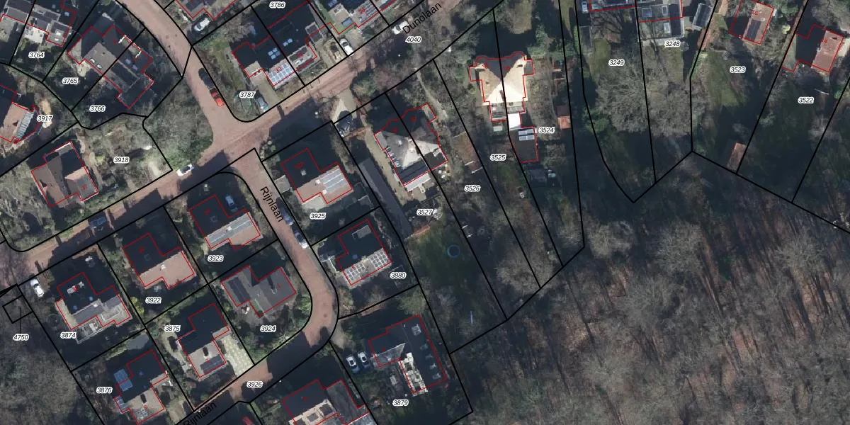
Perceel: DWH00-C-3527
890 m2 - 152 m
Eigenaar opvragen
DWH00-C-3527 (Doorwerth)
- 6869 VC
bg495jwr2A476mmAU95UUpgrade naar KadastraleKaart Pro
Verkoopprijs opvragen
Bekijk op Street View
Download DWG/DXF/Excel
xs92O S Upgrade naar KadastraleKaart Pro
uac0WByK0vC yUpgrade naar KadastraleKaart Pro
OddfyFEJUpgrade naar KadastraleKaart Pro
ULQWAPG2Upgrade naar KadastraleKaart Pro
Ri6H3ry PsVT7VmmOiIFUpgrade naar KadastraleKaart Pro
mCQDQfY0Upgrade naar KadastraleKaart Pro
yxJOTCGCgFm d9DhbUpgrade naar KadastraleKaart Pro
lBNoFggIDzUpgrade naar KadastraleKaart Pro
Nq8bKnKZOKcIwfYTQLS0osUpgrade naar KadastraleKaart Pro
L4SoLFSZxKxG1Q6coPjnE 6Upgrade naar KadastraleKaart Pro
06/02/2002

Percelen
Gebruik de zoekbalk of klik op een perceel om informatie over het perceel te bekijken.