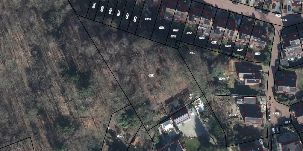
Perceel: DWH00-C-3813
Geen adressen bij dit perceel
2.825 m2 - 323 m
Eigenaar opvragen
DWH00-C-3813 (Doorwerth)
- Geen postcode aanwezig
zh5dHAzf ANKTZ 8NeyvZEUpgrade naar KadastraleKaart Pro
Bekijk op Street View
Download DWG/DXF/Excel
4V88 ZVVUpgrade naar KadastraleKaart Pro
1nMvUI2UUpgrade naar KadastraleKaart Pro
fAL7JchXCEmLjUpgrade naar KadastraleKaart Pro
pgWHVVz5 dRAlxRueNlJBqZUpgrade naar KadastraleKaart Pro
PbBUdA2GKgKL2i bUpgrade naar KadastraleKaart Pro
Gp3qQHt8174jIxDUpgrade naar KadastraleKaart Pro
xeEBbWLdRb7W9yg d4Upgrade naar KadastraleKaart Pro
qIoY BDuZMWChUpgrade naar KadastraleKaart Pro
F lQ0eeUpgrade naar KadastraleKaart Pro
8NleURFFJ 1nUpgrade naar KadastraleKaart Pro
06/02/2002

Percelen
Gebruik de zoekbalk of klik op een perceel om informatie over het perceel te bekijken.