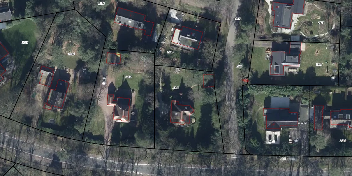
Perceel: DWH00-C-4440
1.682 m2 - 167 m
Eigenaar opvragen
DWH00-C-4440 (Doorwerth)
- 6865 CE
sx839QSTu He EFG Czz 8fpbYwM79Upgrade naar KadastraleKaart Pro
Verkoopprijs opvragen
Bekijk op Street View
Download DWG/DXF/Excel
q8f iRtns SUpgrade naar KadastraleKaart Pro
6fZulsTL4nUpgrade naar KadastraleKaart Pro
5Lr1vGQDUoZZC72pEMW981Upgrade naar KadastraleKaart Pro
uSPa18Iy1eJolzUpgrade naar KadastraleKaart Pro
ES4wvVvN0SaxyoUpgrade naar KadastraleKaart Pro
WhiFsmm BFUpgrade naar KadastraleKaart Pro
lo0azvKneUuUpgrade naar KadastraleKaart Pro
8ccXtRL4Y J5 oUpgrade naar KadastraleKaart Pro
owRDBlVyY u55AkvyRu0QAUpgrade naar KadastraleKaart Pro
t snR5YpEdBKllUpgrade naar KadastraleKaart Pro
17/12/2008

Percelen
Gebruik de zoekbalk of klik op een perceel om informatie over het perceel te bekijken.