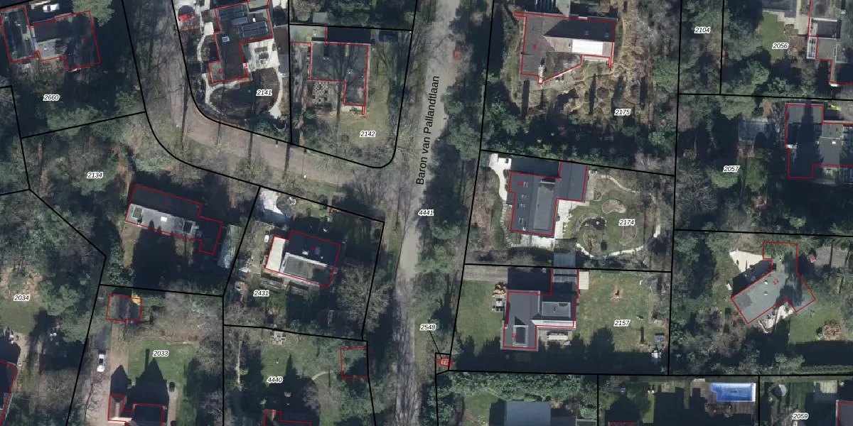
Perceel: DWH00-C-4441
Geen adressen bij dit perceel
6.074 m2 - 867 m
Eigenaar opvragen
DWH00-C-4441 (Doorwerth)
- Geen postcode aanwezig
lDewVOZ0NQzms3yLtsyUpgrade naar KadastraleKaart Pro
Bekijk op Street View
Download DWG/DXF/Excel
y 49pb Zm6Gf4Al 1tKgUpgrade naar KadastraleKaart Pro
Eoh fQ7 MAamR i9lp8Upgrade naar KadastraleKaart Pro
5PmvXdKJrL2EgyMVhUpgrade naar KadastraleKaart Pro
RiDkK3Tk4v Upgrade naar KadastraleKaart Pro
SR HA7x FUpgrade naar KadastraleKaart Pro
0AfOjquneBdpkByxPLPjfUpgrade naar KadastraleKaart Pro
bE4OwSe01JTX Upgrade naar KadastraleKaart Pro
WmngqmFUpgrade naar KadastraleKaart Pro
Q6URbA7GdKjdPciroc7wr Upgrade naar KadastraleKaart Pro
3qt FdLbwApTfzIi2jhHUpgrade naar KadastraleKaart Pro
17/12/2008

Percelen
Gebruik de zoekbalk of klik op een perceel om informatie over het perceel te bekijken.