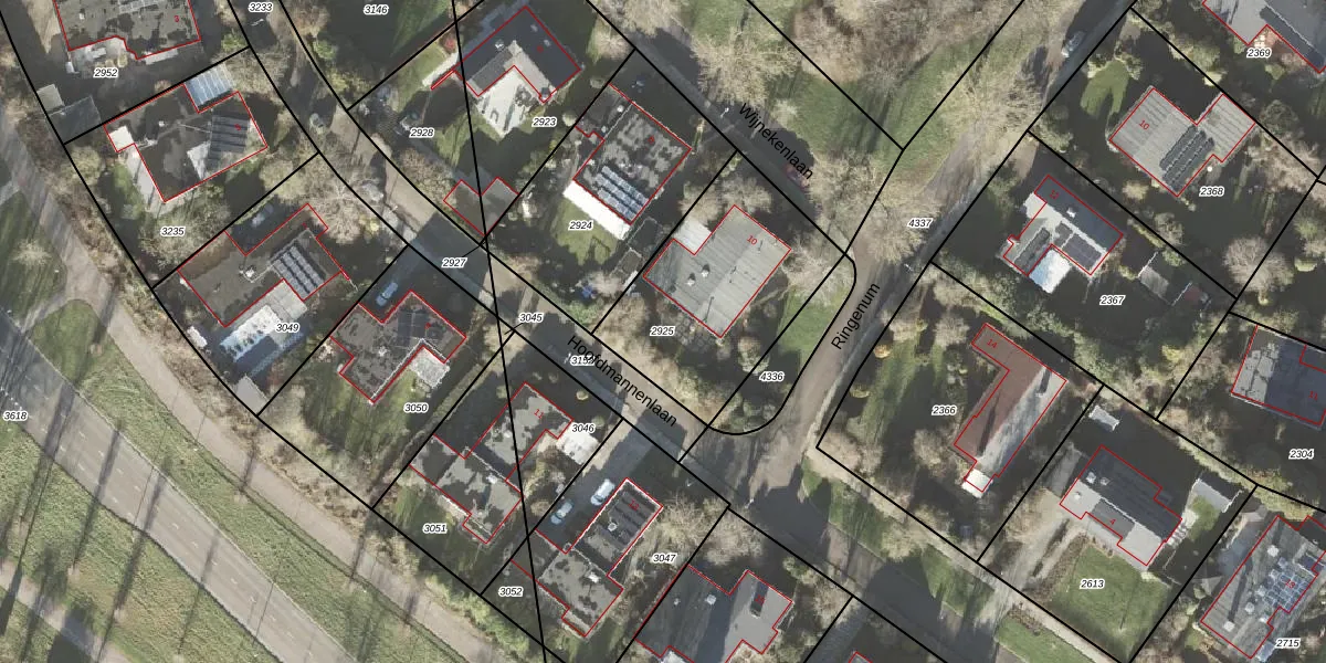
Perceel: DZL01-B-2925
KadastraleKaart.com kan meer dan je denktOntdek meer ›
Filter op bestemming 50+ datasets Eigendomsdata in één klik Percelen CRM
782 m2 - 114 m
Eigenaar opvragen
DZL01-B-2925 (Delfzijl)
- 9934 PN
ggT0u5abS5a6STWZu k5Uv rSFXpUpgrade naar KadastraleKaart Pro
Verkoopprijs opvragen
Bekijk op Street View
Download DWG/DXF/Excel
DqfN4H v65OGWVpbvTwLUpgrade naar KadastraleKaart Pro
vih4PhvQ3kz Upgrade naar KadastraleKaart Pro
25BwdmQmw4lu SJfjxR2EUpgrade naar KadastraleKaart Pro
S9P7CEuFUpgrade naar KadastraleKaart Pro
cj6 fafl5 6UYSadhUpgrade naar KadastraleKaart Pro
whPUJ Aju F1GRpynOfxUpgrade naar KadastraleKaart Pro
WKFpCkllBI Upgrade naar KadastraleKaart Pro
HFv UtmAtozMsDZ1FPMRTUpgrade naar KadastraleKaart Pro
PVtN kd S4UjUpgrade naar KadastraleKaart Pro
FsZWUy1S YQdhLZS4E blbUpgrade naar KadastraleKaart Pro
27/05/1999

Percelen
Gebruik de zoekbalk of klik op een perceel om informatie over het perceel te bekijken.