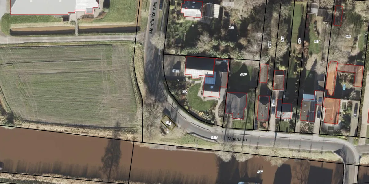
Perceel: DZL01-N-662
KadastraleKaart.com kan meer dan je denktOntdek meer ›
Filter op bestemming 50+ datasets Eigendomsdata in één klik Percelen CRM
1.050 m2 - 130 m
Eigenaar opvragen
DZL01-N-662 (Delfzijl)
- 9937 TH
eL BpHFgo3m6 5vlKWXictoP74iUYs Upgrade naar KadastraleKaart Pro
Verkoopprijs opvragen
Bekijk op Street View
Download DWG/DXF/Excel
Nd d7w6Upgrade naar KadastraleKaart Pro
92m1dRGwOOao164 o Upgrade naar KadastraleKaart Pro
F5SI7m6ZlNalamLd4LKOUpgrade naar KadastraleKaart Pro
Ov g73yVYnYAGYEKc7Mx Upgrade naar KadastraleKaart Pro
oR1 oc7B NjA0 HFUpgrade naar KadastraleKaart Pro
ExUjeQ 94R2M3jL3U4JhOUpgrade naar KadastraleKaart Pro
YpVxKdwEhwUpgrade naar KadastraleKaart Pro
6D0Af1DCc9lTnqO YUpgrade naar KadastraleKaart Pro
895Yf v1Z 24LFUpgrade naar KadastraleKaart Pro
H1xMC JWMiUpgrade naar KadastraleKaart Pro
14/11/1997

Percelen
Gebruik de zoekbalk of klik op een perceel om informatie over het perceel te bekijken.