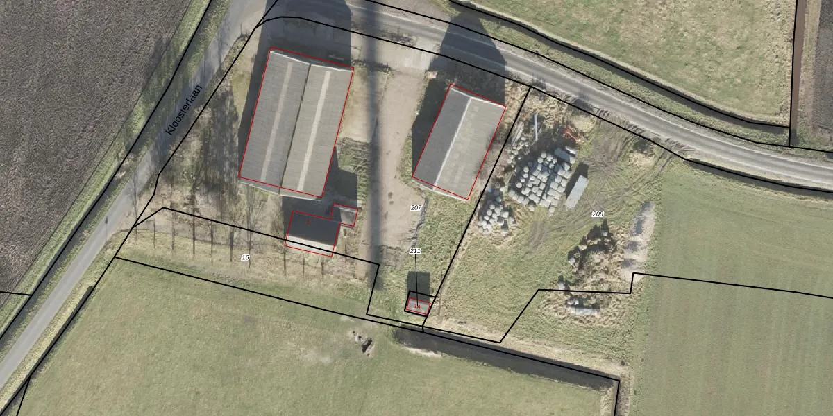
Perceel: DZL01-O-207
KadastraleKaart.com kan meer dan je denktOntdek meer ›
Filter op bestemming 50+ datasets Eigendomsdata in één klik Percelen CRM
3.830 m2 - 290 m
Eigenaar opvragen
DZL01-O-207 (Delfzijl)
- 9945 TH
bN8c6vMW EO8gUNgAJ5TLUpgrade naar KadastraleKaart Pro
Verkoopprijs opvragen
Bekijk op Street View
Download DWG/DXF/Excel
L5vwJZs B6HPT AhUpgrade naar KadastraleKaart Pro
vT El20 3e4HPhxLal3Upgrade naar KadastraleKaart Pro
L4jF 4QtF GYeaUpgrade naar KadastraleKaart Pro
4NUq c7xv2 AH0 Upgrade naar KadastraleKaart Pro
PGl81SWaDKWXhtX2gYUpgrade naar KadastraleKaart Pro
hecDUoYcu0h DUpgrade naar KadastraleKaart Pro
DWCInCjvVkRu zPUpgrade naar KadastraleKaart Pro
jn9tqC68uPJDoPCpWxUpgrade naar KadastraleKaart Pro
4rupLB7tJKbh7f Upgrade naar KadastraleKaart Pro
6tFBU8bhrsudvjUpgrade naar KadastraleKaart Pro
05/11/2002

Percelen
Gebruik de zoekbalk of klik op een perceel om informatie over het perceel te bekijken.