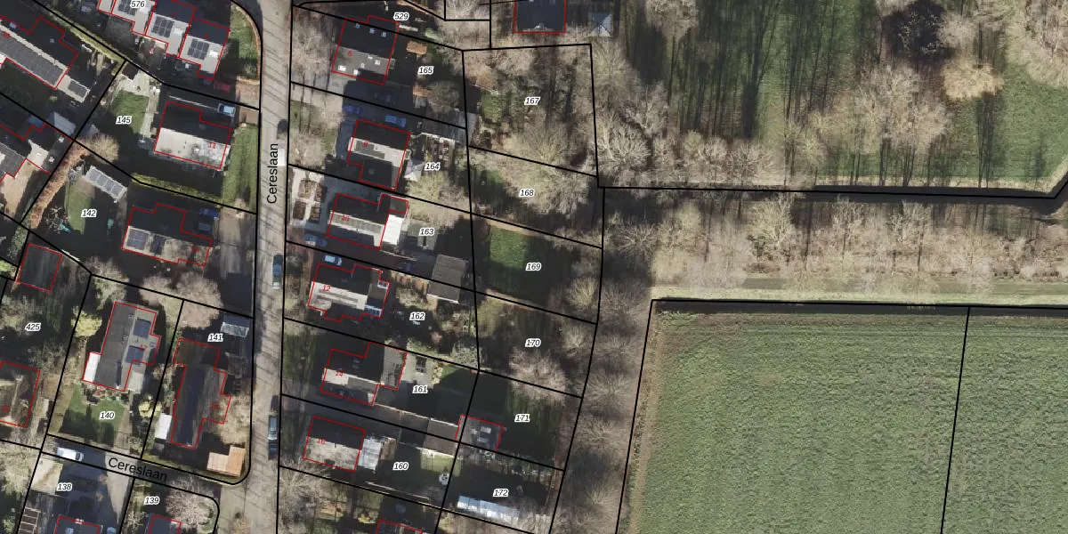
Perceel: DZL01-P-169
KadastraleKaart.com kan meer dan je denktOntdek meer ›
Filter op bestemming 50+ datasets Eigendomsdata in één klik Percelen CRM
Geen adressen bij dit perceel
342 m2 - 78 m
Eigenaar opvragen
DZL01-P-169 (Delfzijl)
- Geen postcode aanwezig
JaOGe5MkOhyZ3Jnro6ga QozikYUpgrade naar KadastraleKaart Pro
Bekijk op Street View
Download DWG/DXF/Excel
JsdVZZ13yvtNCnphKL fUpgrade naar KadastraleKaart Pro
WFU2gPYYQPL7Upgrade naar KadastraleKaart Pro
sKPqcFqoVRcSwIUL9QUpgrade naar KadastraleKaart Pro
xGMLwUV j98Jdqx iqm9Upgrade naar KadastraleKaart Pro
qEIYEVU ElU67 WUpgrade naar KadastraleKaart Pro
eTwQSPW10A90Ww cskUpgrade naar KadastraleKaart Pro
eV VJ MxUpgrade naar KadastraleKaart Pro
SialJDf O l gF61aUpgrade naar KadastraleKaart Pro
aEnD2W K3s69AUpgrade naar KadastraleKaart Pro
CO96 7JjULmTUpgrade naar KadastraleKaart Pro
14/11/1997

Percelen
Gebruik de zoekbalk of klik op een perceel om informatie over het perceel te bekijken.