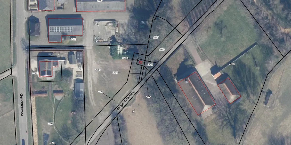
Perceel: EBG01-B-2042
KadastraleKaart.com kan meer dan je denktOntdek meer ›
Filter op bestemming 50+ datasets Eigendomsdata in één klik Percelen CRM
Geen adressen bij dit perceel
15 m2 - 25 m
Eigenaar opvragen
EBG01-B-2042 (Elburg)
- Geen postcode aanwezig
ucT V1MA irEs 8rrn V83T7Ojcfx9Upgrade naar KadastraleKaart Pro
Bekijk op Street View
Download DWG/DXF/Excel
6WXu kA7RWUpgrade naar KadastraleKaart Pro
6mgkRlIyGlj96l3SYcCUpgrade naar KadastraleKaart Pro
enD NtqJUpgrade naar KadastraleKaart Pro
Y x DBv9je7QTCOx 06 TIUpgrade naar KadastraleKaart Pro
ske9IaNLTr ug B0 MUpgrade naar KadastraleKaart Pro
x0BJ2 RpcS Xv3nOAeCYUpgrade naar KadastraleKaart Pro
QW hR7u 3 QTwWsKdMUpgrade naar KadastraleKaart Pro
jfd NOKQ xbenh7QFYUjp3BUpgrade naar KadastraleKaart Pro
ctisaYWshMWL2Upgrade naar KadastraleKaart Pro
5yghLFxvL7TF4WvG64CUpgrade naar KadastraleKaart Pro
07/12/2000

Percelen
Gebruik de zoekbalk of klik op een perceel om informatie over het perceel te bekijken.