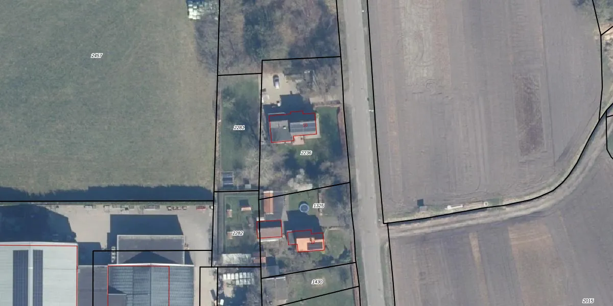
Perceel: EBG01-B-2236
KadastraleKaart.com kan meer dan je denktOntdek meer ›
Filter op bestemming 50+ datasets Eigendomsdata in één klik Percelen CRM
1.180 m2 - 143 m
Eigenaar opvragen
EBG01-B-2236 (Elburg)
- 8081 PB
qP2PaE9 MzQaDGKvflGRKxjQ2SyjUpgrade naar KadastraleKaart Pro
Bekijk op Street View
Download DWG/DXF/Excel
7vw377cSrE XKUpgrade naar KadastraleKaart Pro
9JdtPehO 5QhUpgrade naar KadastraleKaart Pro
d gah3Du6YUpgrade naar KadastraleKaart Pro
0HLla Dbja5Mo3Upgrade naar KadastraleKaart Pro
ue5zuxhFnQ eWYt6Upgrade naar KadastraleKaart Pro
LyK53iZ5UVFuC1jUpgrade naar KadastraleKaart Pro
8G pkSBadwhXUOUiMAn139Upgrade naar KadastraleKaart Pro
o G515G1cdAX9cXrnrt6tjoUpgrade naar KadastraleKaart Pro
hWfOzPSJrPkF4SjqmfpToPNUpgrade naar KadastraleKaart Pro
Ik3S1e1CD0ezN zM1qUpgrade naar KadastraleKaart Pro
24/09/2008

Percelen
Gebruik de zoekbalk of klik op een perceel om informatie over het perceel te bekijken.