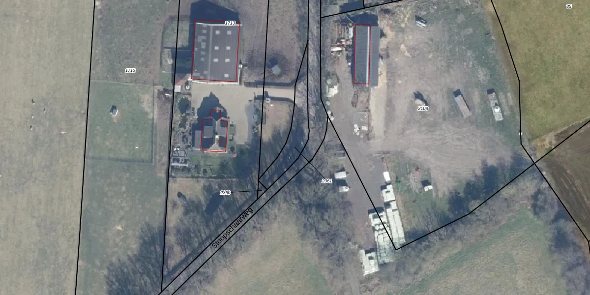
Perceel: EBG01-B-2361
KadastraleKaart.com kan meer dan je denktOntdek meer ›
Filter op bestemming 50+ datasets Eigendomsdata in één klik Percelen CRM
Geen adressen bij dit perceel
230 m2 - 112 m
Eigenaar opvragen
EBG01-B-2361 (Elburg)
- Geen postcode aanwezig
P J04 EyIAwG0G1m 3WUpgrade naar KadastraleKaart Pro
Bekijk op Street View
Download DWG/DXF/Excel
Arg 3Y7YFCFOJws5Upgrade naar KadastraleKaart Pro
7bdG9GuKTAY5MPKjJD4BUpgrade naar KadastraleKaart Pro
Qh2A3bHridZHaZDNaUpgrade naar KadastraleKaart Pro
8X7v1qK8lH 66WaZzUpgrade naar KadastraleKaart Pro
y6wqzf0v 1Upgrade naar KadastraleKaart Pro
QCrsIMv8I6eoRS3RDNq F 1Upgrade naar KadastraleKaart Pro
wlElAbtWNKWKSOUpgrade naar KadastraleKaart Pro
gvYQpEfh Upgrade naar KadastraleKaart Pro
NRncVrWaX31 zm52ArUpgrade naar KadastraleKaart Pro
LHyNzCkJEqeCT7Upgrade naar KadastraleKaart Pro
23/12/2003

Percelen
Gebruik de zoekbalk of klik op een perceel om informatie over het perceel te bekijken.