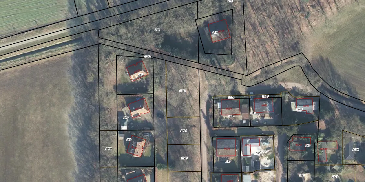
Perceel: EBG02-AB-1083
Geen adressen bij dit perceel
522 m2 - 95 m
Eigenaar opvragen
EBG02-AB-1083 (Eibergen)
- Geen postcode aanwezig
t8NpO1 aW6GOI9P3 7d82PUpgrade naar KadastraleKaart Pro
Bekijk op Street View
Download DWG/DXF/Excel
IXbUO6HBsTNhRadt1Upgrade naar KadastraleKaart Pro
iGF6HknW91pW sUpgrade naar KadastraleKaart Pro
FQAoewS0Upgrade naar KadastraleKaart Pro
a 9ZedZvmbVyGbGCmJtjq6Upgrade naar KadastraleKaart Pro
tEpqQNxVkTinI 8tUpgrade naar KadastraleKaart Pro
9k1Vag54HQvHTDaHDMHUpgrade naar KadastraleKaart Pro
19Nnzb49raMKNxma4Upgrade naar KadastraleKaart Pro
g2CkQiuZhbIuJBdlM5Upgrade naar KadastraleKaart Pro
Q66o42A4YS50Upgrade naar KadastraleKaart Pro
pKAZQKx eOUpgrade naar KadastraleKaart Pro
20/10/2023

Percelen
Gebruik de zoekbalk of klik op een perceel om informatie over het perceel te bekijken.