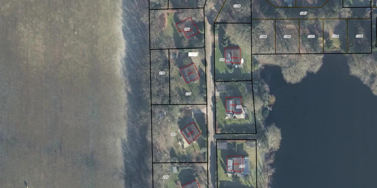
Perceel: EBG02-AB-277
575 m2 - 99 m
Eigenaar opvragen
EBG02-AB-277 (Eibergen)
- 7151 NV
rsP18QVC 43Hxg qM76VHs6Upgrade naar KadastraleKaart Pro
Verkoopprijs opvragen
Bekijk op Street View
Download DWG/DXF/Excel
kRrh VPMIxoUpgrade naar KadastraleKaart Pro
b37eR 7gdroZlUpgrade naar KadastraleKaart Pro
cjJG40kOpU2UGJUpgrade naar KadastraleKaart Pro
jVyC njGBrWa3wiyIoRgUpgrade naar KadastraleKaart Pro
aQY2Iq3iH5EGkHrSJRzo Upgrade naar KadastraleKaart Pro
z LzOp77OPrkDTUpgrade naar KadastraleKaart Pro
7x GNLn lKi7zLUpgrade naar KadastraleKaart Pro
5 Jwrq Qpd9nNTQ0faweWUpgrade naar KadastraleKaart Pro
Rs623wesKCKrUpgrade naar KadastraleKaart Pro
4EZsf O Al9Z 5KbUpgrade naar KadastraleKaart Pro
31/10/2011

Percelen
Gebruik de zoekbalk of klik op een perceel om informatie over het perceel te bekijken.