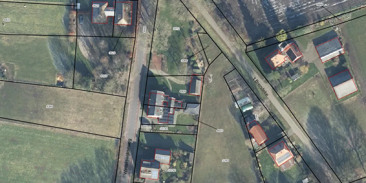
Perceel: EBG02-D-8909
525 m2 - 96 m
Eigenaar opvragen
EBG02-D-8909 (Eibergen)
- 7152 BV
QJUMLN3yk3swR p1uUpgrade naar KadastraleKaart Pro
Verkoopprijs opvragen
Bekijk op Street View
Download DWG/DXF/Excel
i8KbQWmjq pn2Upgrade naar KadastraleKaart Pro
tTvwFCYjjcW wB 1Upgrade naar KadastraleKaart Pro
sUGzvTq B 9p FrdPli4aUpgrade naar KadastraleKaart Pro
9I8nSiU6H E4 hjUpgrade naar KadastraleKaart Pro
1EgbqvskbwFQzc0cOUpgrade naar KadastraleKaart Pro
K 7Sfd7oMN mUpgrade naar KadastraleKaart Pro
QaGYFxVsATo9 lJUpgrade naar KadastraleKaart Pro
J2u9mpUNyhxq4uNyc0SR Upgrade naar KadastraleKaart Pro
BCwHMMvSm0Upgrade naar KadastraleKaart Pro
rmVVwKH3gUpgrade naar KadastraleKaart Pro
06/04/2004

Percelen
Gebruik de zoekbalk of klik op een perceel om informatie over het perceel te bekijken.