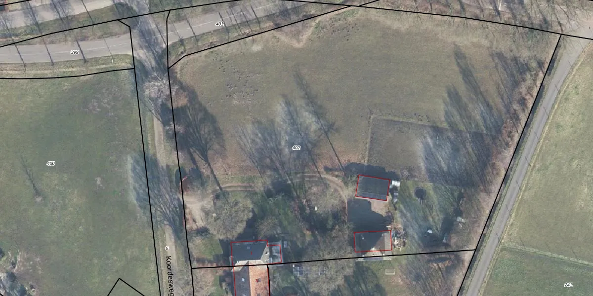
Perceel: EBG02-O-402
9.040 m2 - 380 m
Eigenaar opvragen
EBG02-O-402 (Eibergen)
- 7157 AA
IG7qy4E7EjunXU1PCNSmUpgrade naar KadastraleKaart Pro
Bekijk op Street View
Download DWG/DXF/Excel
er15BTBii2pUpgrade naar KadastraleKaart Pro
vuD3Rv3NTZ5nbZ O2U a 2Upgrade naar KadastraleKaart Pro
l933Bv5AoQQ4W7pwUpgrade naar KadastraleKaart Pro
UwHhC8QfW349D38HXB iUpgrade naar KadastraleKaart Pro
07dUuqDm53bM Upgrade naar KadastraleKaart Pro
TwRvkFrnPH lk1C6 uUpgrade naar KadastraleKaart Pro
eUbD72ySN5CUpgrade naar KadastraleKaart Pro
gAHhcJv2j wyS PJFXUpgrade naar KadastraleKaart Pro
p5alCDc K7JpUpgrade naar KadastraleKaart Pro
TU3SLpQ6Wo OBUpgrade naar KadastraleKaart Pro
03/07/2000

Percelen
Gebruik de zoekbalk of klik op een perceel om informatie over het perceel te bekijken.