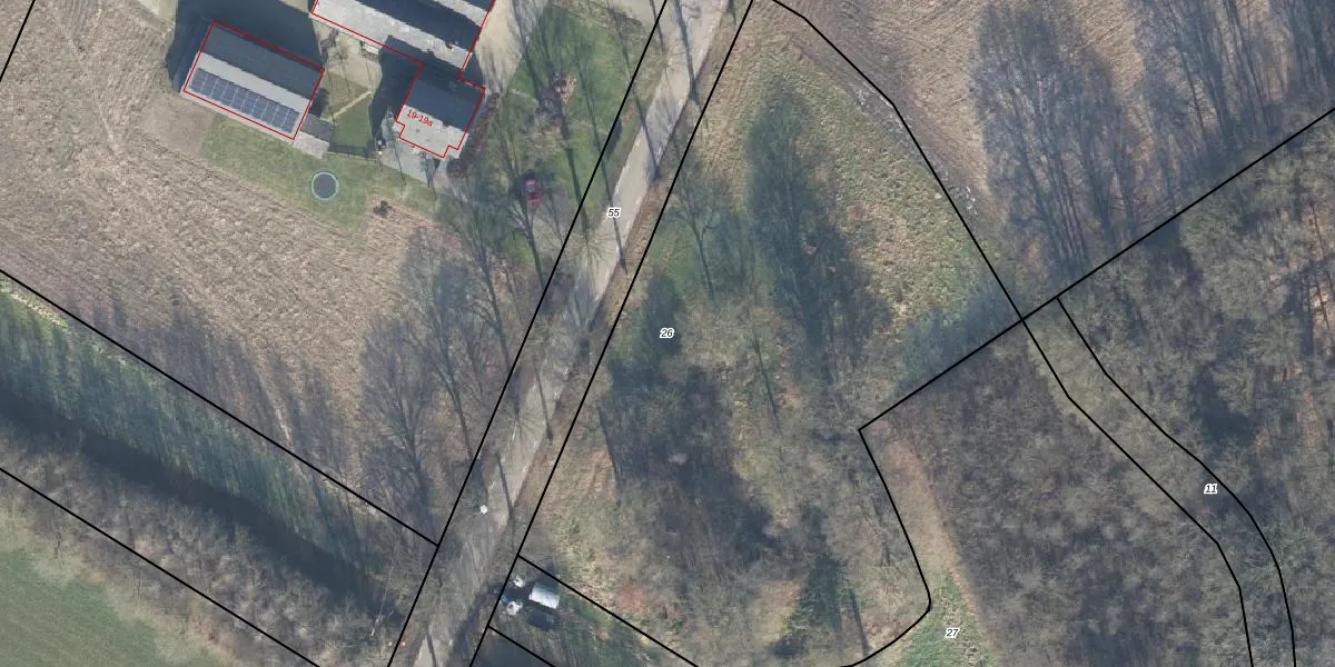
Perceel: EBG02-V-26
Geen adressen bij dit perceel
4.300 m2 - 285 m
Eigenaar opvragen
EBG02-V-26 (Eibergen)
- Geen postcode aanwezig
aBV1u9mh2WXuJqd1csTUpgrade naar KadastraleKaart Pro
Bekijk op Street View
Download DWG/DXF/Excel
S ig2C9WmOTxo0xxRJUpgrade naar KadastraleKaart Pro
3LeVuQCepynUmfInypfonUpgrade naar KadastraleKaart Pro
okb dqUaOXnz9ifTN7KbSUpgrade naar KadastraleKaart Pro
O3 sUywUyTQ7 wnQfDThVdUpgrade naar KadastraleKaart Pro
mORs3 af75pNTUpgrade naar KadastraleKaart Pro
KatFKWC2ansrRZ enUpgrade naar KadastraleKaart Pro
A5nDDXrtQz9XW7Kut9Upgrade naar KadastraleKaart Pro
c ti0pR 321Nv5Upgrade naar KadastraleKaart Pro
3IAfuyKf Na4Ivw74mUpgrade naar KadastraleKaart Pro
8JE WNY RNW1qtPJnHecUpgrade naar KadastraleKaart Pro
02/10/2007

Percelen
Gebruik de zoekbalk of klik op een perceel om informatie over het perceel te bekijken.