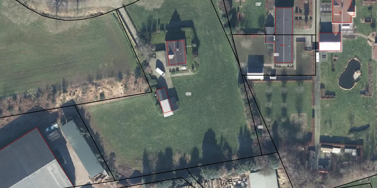
Perceel: EBG02-V-632
6.169 m2 - 359 m
Eigenaar opvragen
EBG02-V-632 (Eibergen)
- 7156 LJ
ZZMZs u0MqfA2IP1Upgrade naar KadastraleKaart Pro
Bekijk op Street View
Download DWG/DXF/Excel
9ZYJom e4r aKbAPznbp4Upgrade naar KadastraleKaart Pro
qwoOTiKWqoUpgrade naar KadastraleKaart Pro
eScY 3y RAbZTTZUpgrade naar KadastraleKaart Pro
KTJihvklaOIgI cAmUpgrade naar KadastraleKaart Pro
tXD81I SFOAD1EEUpgrade naar KadastraleKaart Pro
nITUBpqw wuB6P2Upgrade naar KadastraleKaart Pro
1GqRSSXEqUpgrade naar KadastraleKaart Pro
5d74Fiwv5TGqfo1 cR c1tTUpgrade naar KadastraleKaart Pro
zxVCm6ZRA8Hsg2Z2951Upgrade naar KadastraleKaart Pro
1rMQp0 R t4Upgrade naar KadastraleKaart Pro
21/04/2010

Percelen
Gebruik de zoekbalk of klik op een perceel om informatie over het perceel te bekijken.