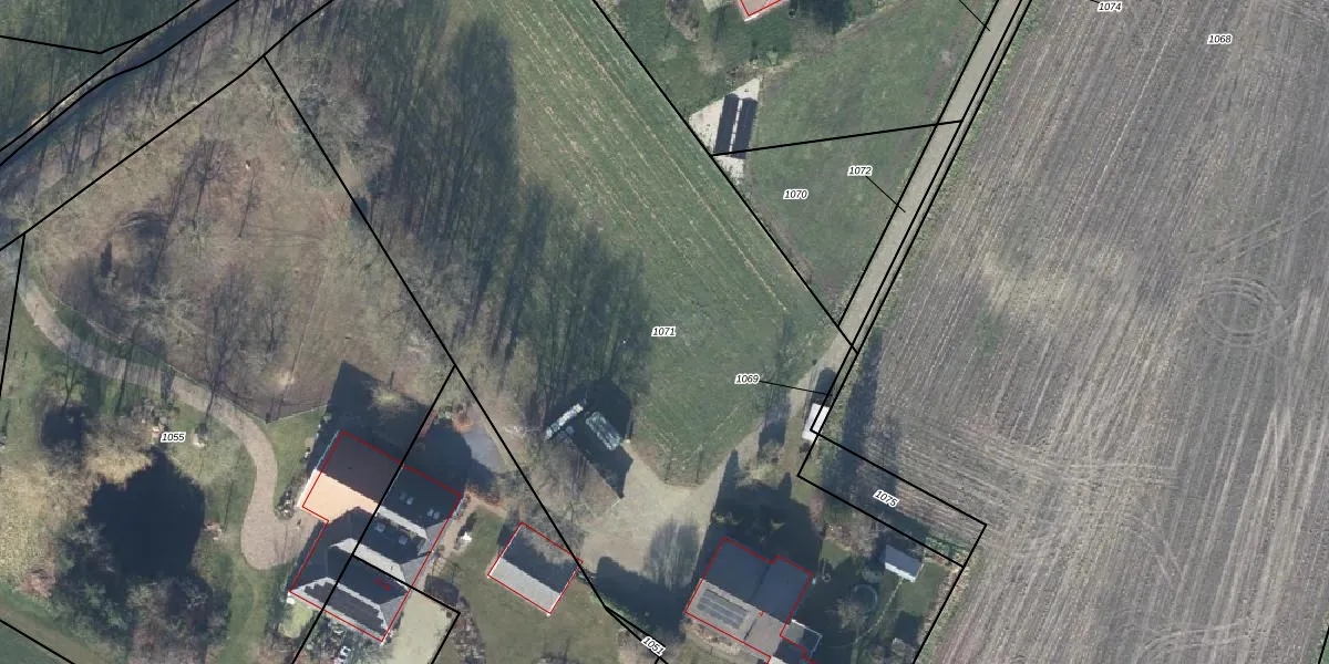
Perceel: EBG02-W-1071
6.260 m2 - 417 m
Eigenaar opvragen
EBG02-W-1071 (Eibergen)
- 7156 RP
LH3ra6CG7LbGEV TplUpgrade naar KadastraleKaart Pro
Verkoopprijs opvragen
Bekijk op Street View
Download DWG/DXF/Excel
zROfYQzlw4dTO6rVKrzY1Upgrade naar KadastraleKaart Pro
jo1b4x7ndFFkpUpgrade naar KadastraleKaart Pro
EV ogsg aVpyUpgrade naar KadastraleKaart Pro
Moa 8j m2PC4fHUpgrade naar KadastraleKaart Pro
HzRli3 cUpgrade naar KadastraleKaart Pro
mh4Eyo rUpgrade naar KadastraleKaart Pro
7D96XSxRf9Bx Z17 Upgrade naar KadastraleKaart Pro
V8OJkaBmsocXbGDUpgrade naar KadastraleKaart Pro
RdF2Z2cJV444mKb5dUpgrade naar KadastraleKaart Pro
KwwqU4pLpWJzicrRFy sPKUpgrade naar KadastraleKaart Pro
30/07/2020

Percelen
Gebruik de zoekbalk of klik op een perceel om informatie over het perceel te bekijken.