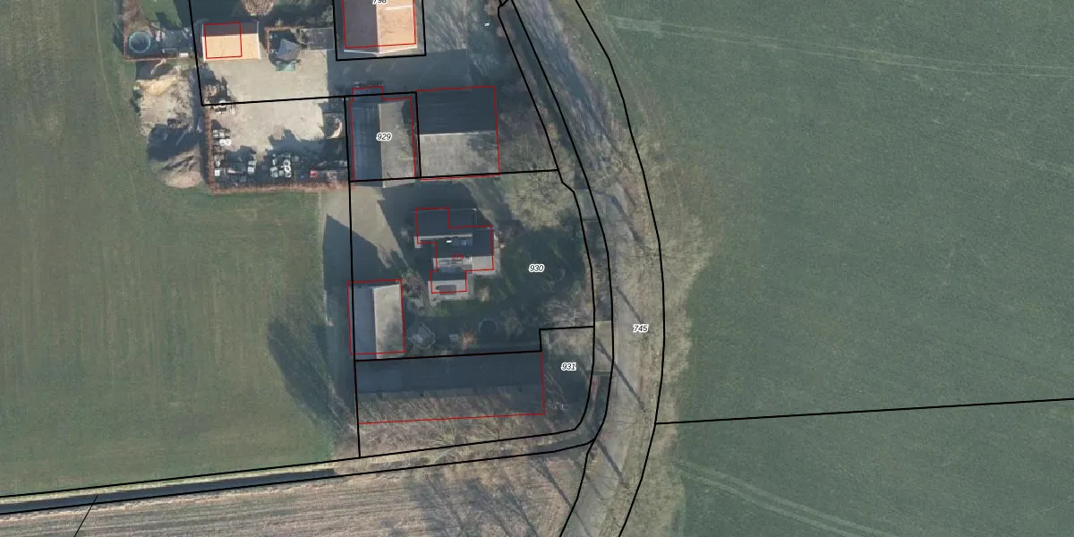
Perceel: EBG02-W-930
1.415 m2 - 152 m
Eigenaar opvragen
EBG02-W-930 (Eibergen)
- 7156 SH
ROlVxQycKL2 O9 05dKdVUpgrade naar KadastraleKaart Pro
Verkoopprijs opvragen
Bekijk op Street View
Download DWG/DXF/Excel
u Q0vA4zzTKJoUpgrade naar KadastraleKaart Pro
gcA9uKhxUpgrade naar KadastraleKaart Pro
3IRuVj3neIlKmsPAf9R0m5Upgrade naar KadastraleKaart Pro
ox9xvhQdWkAXzab3swUpgrade naar KadastraleKaart Pro
M2KhveX44 t9bvjvUpgrade naar KadastraleKaart Pro
xZhrCunWOC1Upgrade naar KadastraleKaart Pro
Ca3esJ2ROjoWJ6Ts aPUpgrade naar KadastraleKaart Pro
p X i1c7Upgrade naar KadastraleKaart Pro
hNm38c gaUpgrade naar KadastraleKaart Pro
cfq2 NmPcjYUpgrade naar KadastraleKaart Pro
23/01/2012

Percelen
Gebruik de zoekbalk of klik op een perceel om informatie over het perceel te bekijken.