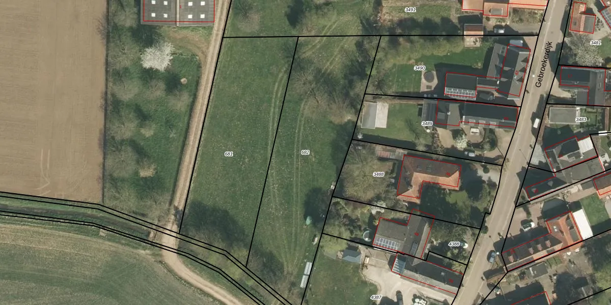
Perceel: ECH00-AC-682
KadastraleKaart.com kan meer dan je denktOntdek meer ›
Filter op bestemming 50+ datasets Eigendomsdata in één klik Percelen CRM
Geen adressen bij dit perceel
1.980 m2 - 222 m
Eigenaar opvragen
ECH00-AC-682 (Echt)
- Geen postcode aanwezig
87 bkC2QNgF8cVqj92Upgrade naar KadastraleKaart Pro
Bekijk op Street View
Download DWG/DXF/Excel
cNFgqDxlUpgrade naar KadastraleKaart Pro
Ifn56e7aUpgrade naar KadastraleKaart Pro
RgBYDRxqmLys N6CnDElqENUpgrade naar KadastraleKaart Pro
njO8neZX01 MneyUpgrade naar KadastraleKaart Pro
Cgd3e QHcdUpgrade naar KadastraleKaart Pro
X 79I7NHXNUpgrade naar KadastraleKaart Pro
D7zW2A7HBUpgrade naar KadastraleKaart Pro
xQB2s B GUpgrade naar KadastraleKaart Pro
TBF1SX V2DTUpgrade naar KadastraleKaart Pro
tTDY ca87gCTSC v3RzzZUpgrade naar KadastraleKaart Pro
12/10/2011

Percelen
Gebruik de zoekbalk of klik op een perceel om informatie over het perceel te bekijken.