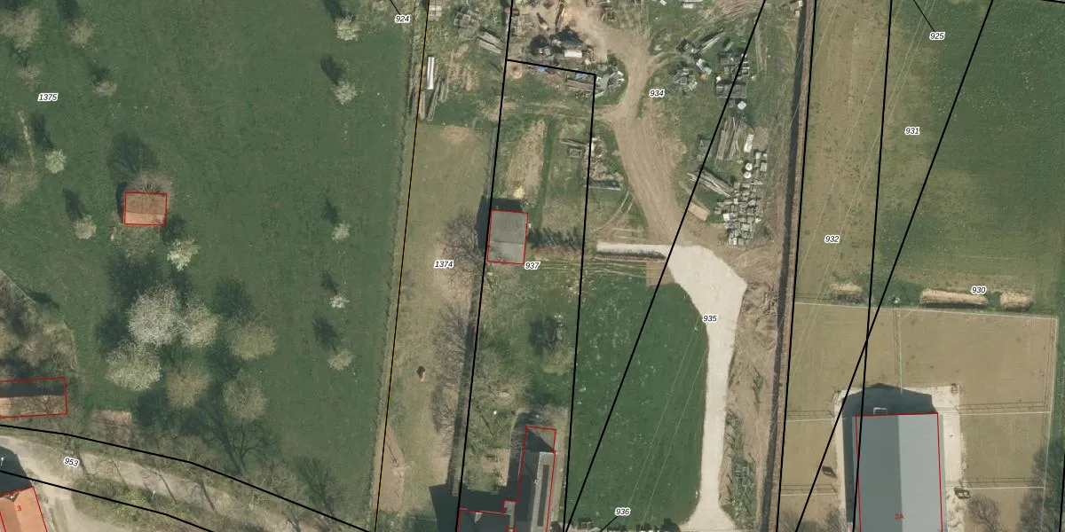
Perceel: ECH00-AC-937
KadastraleKaart.com kan meer dan je denktOntdek meer ›
Filter op bestemming 50+ datasets Eigendomsdata in één klik Percelen CRM
1.765 m2 - 226 m
Eigenaar opvragen
ECH00-AC-937 (Echt)
- 6101 RA
fnvS87gi TWULwJUpgrade naar KadastraleKaart Pro
Bekijk op Street View
Download DWG/DXF/Excel
LoJtvNlJgQwAT FnUpgrade naar KadastraleKaart Pro
QyBg8G2EIDodW1VJzWUpgrade naar KadastraleKaart Pro
zhZMxd zauAQQ 6jG Upgrade naar KadastraleKaart Pro
ksiKL88HJEiq8WUpgrade naar KadastraleKaart Pro
NsS0b x Upgrade naar KadastraleKaart Pro
zuijJXuPnUpgrade naar KadastraleKaart Pro
0lymT67yZcu5iONalgTUpgrade naar KadastraleKaart Pro
zzLpP1Jn7Upgrade naar KadastraleKaart Pro
B8rpw62y4wKZANrBUpgrade naar KadastraleKaart Pro
FHx9wZrsimQxu3neWn Upgrade naar KadastraleKaart Pro
19/08/2009

Percelen
Gebruik de zoekbalk of klik op een perceel om informatie over het perceel te bekijken.