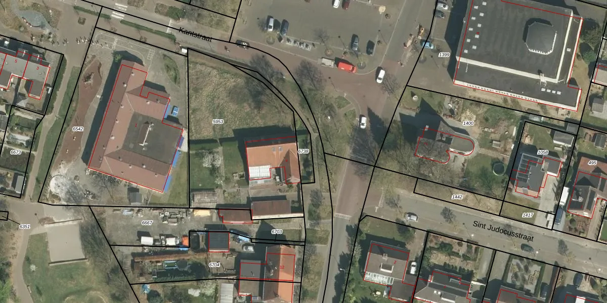
Perceel: ECH00-C-6738
KadastraleKaart.com kan meer dan je denktOntdek meer ›
Filter op bestemming 50+ datasets Eigendomsdata in één klik Percelen CRM
Geen adressen bij dit perceel
132 m2 - 107 m
Eigenaar opvragen
ECH00-C-6738 (Echt)
- Geen postcode aanwezig
bgUDh AtlM3IUQNnJ Upgrade naar KadastraleKaart Pro
Bekijk op Street View
Download DWG/DXF/Excel
Z29ClThrRNztUpgrade naar KadastraleKaart Pro
5 qDZp3LXgwGsC jUUpgrade naar KadastraleKaart Pro
qWX93AkunRl9 Upgrade naar KadastraleKaart Pro
9UtRKNbZUpgrade naar KadastraleKaart Pro
EMpr134 o AaK8Upgrade naar KadastraleKaart Pro
CQFbzSW6Xi akGWWzfCsOQlUpgrade naar KadastraleKaart Pro
Z2R2QNIafTLfk9yLSf3kBaUpgrade naar KadastraleKaart Pro
xf64yJqbSKUpgrade naar KadastraleKaart Pro
YLiS4C7hqbA2kSTGdg1JXqUUpgrade naar KadastraleKaart Pro
ElXg vWZCaX3tImUpgrade naar KadastraleKaart Pro
18/10/2018

Percelen
Gebruik de zoekbalk of klik op een perceel om informatie over het perceel te bekijken.