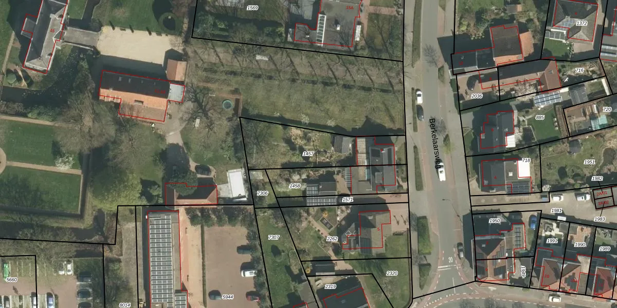
Perceel: ECH00-K-1457
KadastraleKaart.com kan meer dan je denktOntdek meer ›
Filter op bestemming 50+ datasets Eigendomsdata in één klik Percelen CRM
625 m2 - 133 m
Eigenaar opvragen
ECH00-K-1457 (Echt)
- 6101 AV
SdugBgO3P3 Fp r1Z GIQeXdsUpgrade naar KadastraleKaart Pro
Bekijk op Street View
Download DWG/DXF/Excel
NwxtGR 7JfVU9Upgrade naar KadastraleKaart Pro
ZbbceEM4N8 kUpgrade naar KadastraleKaart Pro
uRQiVpT7KMhgHsSyuiUpgrade naar KadastraleKaart Pro
TvyIR1 ch0eSDniV6fXUpgrade naar KadastraleKaart Pro
OLhdjNeVNUpgrade naar KadastraleKaart Pro
OA qp J o35Upgrade naar KadastraleKaart Pro
OWfiuK i LLu71Upgrade naar KadastraleKaart Pro
Vkq8c WNUpgrade naar KadastraleKaart Pro
Smjn3R LG o 5IQG p x62Upgrade naar KadastraleKaart Pro
yfIuXWGDW0kLok4Upgrade naar KadastraleKaart Pro
17/10/2011

Percelen
Gebruik de zoekbalk of klik op een perceel om informatie over het perceel te bekijken.