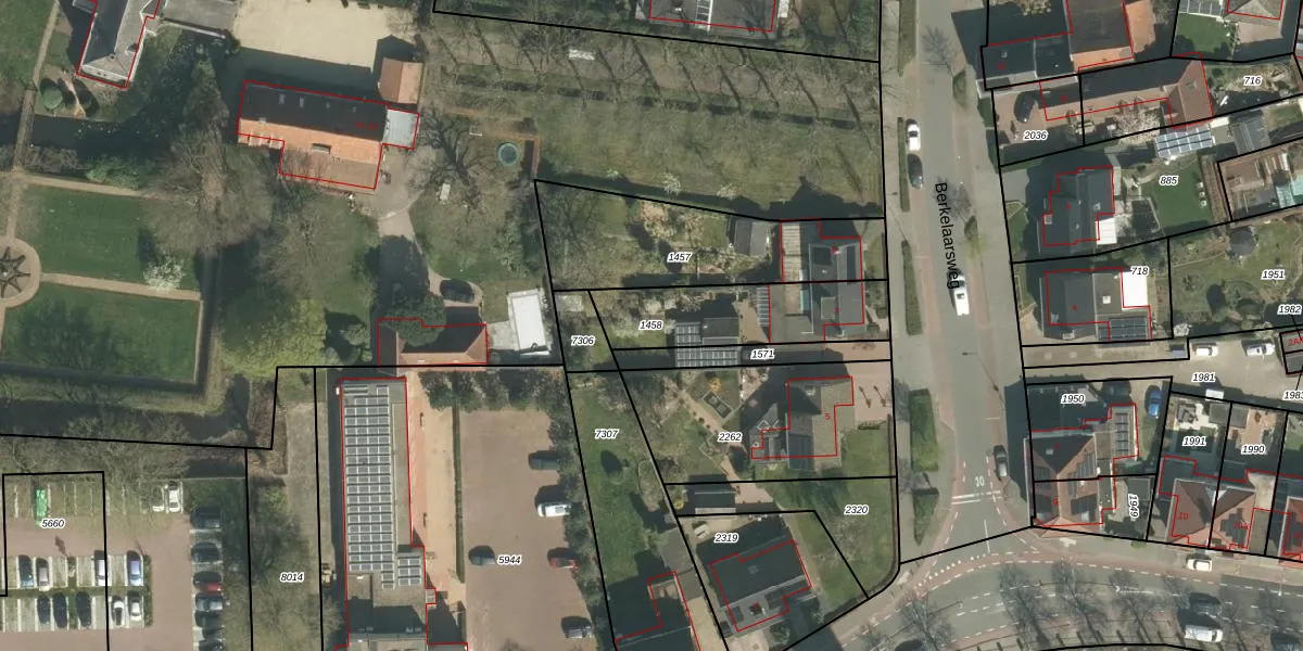
Perceel: ECH00-K-1458
KadastraleKaart.com kan meer dan je denktOntdek meer ›
Filter op bestemming 50+ datasets Eigendomsdata in één klik Percelen CRM
420 m2 - 108 m
Eigenaar opvragen
ECH00-K-1458 (Echt)
- 6101 AV
rIx M8y3NM 3F ygCizKU0cXBKG RBUpgrade naar KadastraleKaart Pro
Bekijk op Street View
Download DWG/DXF/Excel
q tQ f czwVRNkD bUpgrade naar KadastraleKaart Pro
IX K kywWQ5qfYF2Upgrade naar KadastraleKaart Pro
ETK8ruFQLMUpgrade naar KadastraleKaart Pro
ogboaztHIwnn Xg rghUpgrade naar KadastraleKaart Pro
wt1sx5DkceKWBo3diVy5Rf1Upgrade naar KadastraleKaart Pro
WQ70QzHguJsfjQ4Upgrade naar KadastraleKaart Pro
Okv7RUgil tTT tzeQUpgrade naar KadastraleKaart Pro
oreL6AinbNcVs2P Upgrade naar KadastraleKaart Pro
Jng G jUpgrade naar KadastraleKaart Pro
RqUnodovCz3KEVV 6oUpgrade naar KadastraleKaart Pro
17/10/2011

Percelen
Gebruik de zoekbalk of klik op een perceel om informatie over het perceel te bekijken.