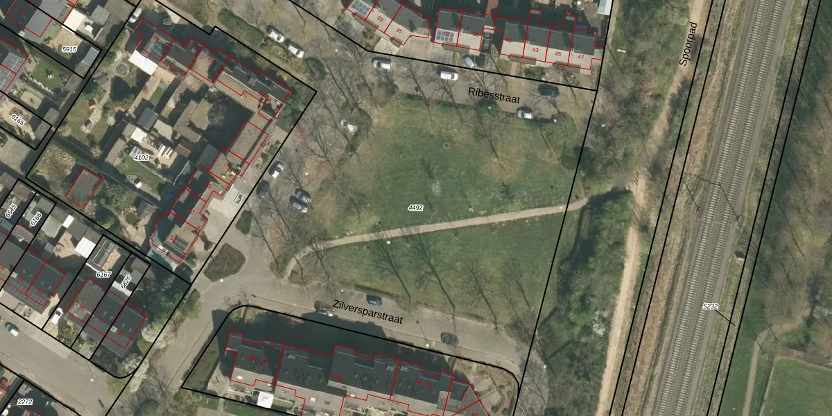
Perceel: ECH00-K-4492
KadastraleKaart.com kan meer dan je denktOntdek meer ›
Filter op bestemming 50+ datasets Eigendomsdata in één klik Percelen CRM
Geen adressen bij dit perceel
16.040 m2 - 1.434 m
Eigenaar opvragen
ECH00-K-4492 (Echt)
- Geen postcode aanwezig
BD9vzBOng4pt Q 1IG21KioTZm Upgrade naar KadastraleKaart Pro
Bekijk op Street View
Download DWG/DXF/Excel
THmTotCZ sJeRukXX g c2Upgrade naar KadastraleKaart Pro
rVDQ7vQWjk agDUpgrade naar KadastraleKaart Pro
qnHhF 2 Upgrade naar KadastraleKaart Pro
Nfap Qn dUpgrade naar KadastraleKaart Pro
8q1iBGWKKbll84QdyVxZUpgrade naar KadastraleKaart Pro
1wWldo VU7CFgHUpgrade naar KadastraleKaart Pro
U hDNnj XoHl1 uw bUpgrade naar KadastraleKaart Pro
4c0PGGVYRJDVU5 CPfy nUpgrade naar KadastraleKaart Pro
Njkx3ECwUpgrade naar KadastraleKaart Pro
aieYBoDlKUpgrade naar KadastraleKaart Pro
31/10/2011

Percelen
Gebruik de zoekbalk of klik op een perceel om informatie over het perceel te bekijken.