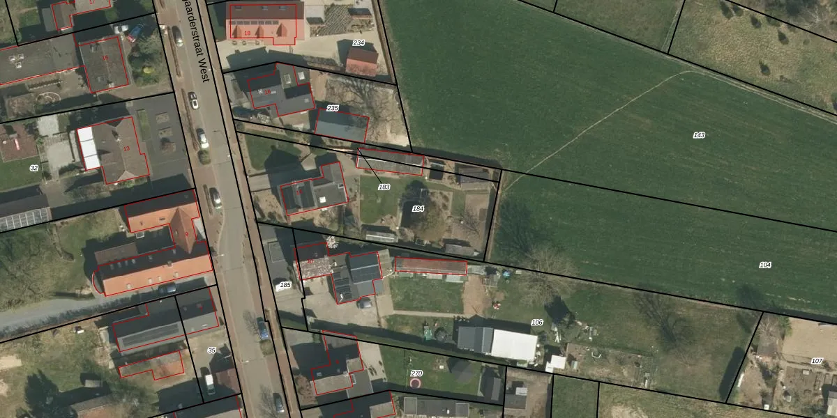
Perceel: ECH00-N-184
KadastraleKaart.com kan meer dan je denktOntdek meer ›
Filter op bestemming 50+ datasets Eigendomsdata in één klik Percelen CRM
1.187 m2 - 161 m
Eigenaar opvragen
ECH00-N-184 (Echt)
- 6105 CK
Fk0JY4eAKYZwOGQGm0eQ1WC Upgrade naar KadastraleKaart Pro
Bekijk op Street View
Download DWG/DXF/Excel
WhhU6zLIUpgrade naar KadastraleKaart Pro
t FRETFO W3B ZoCH4vIQUpgrade naar KadastraleKaart Pro
9Zx3y7yZ QaGUpgrade naar KadastraleKaart Pro
m923XPVu9GUg901cPMUpgrade naar KadastraleKaart Pro
yKCdLo8ka 03Oa88q8QUpgrade naar KadastraleKaart Pro
R tQYvrfRz 8CRjmUpgrade naar KadastraleKaart Pro
JH3Ql1qUUpgrade naar KadastraleKaart Pro
AZcW M tUpgrade naar KadastraleKaart Pro
J Ka l3Upgrade naar KadastraleKaart Pro
EdC0VadxqzprKBm3V9mUpgrade naar KadastraleKaart Pro
26/09/2011

Percelen
Gebruik de zoekbalk of klik op een perceel om informatie over het perceel te bekijken.