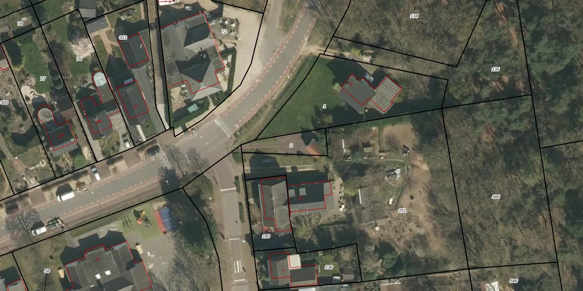
Perceel: ECH00-N-2
KadastraleKaart.com kan meer dan je denktOntdek meer ›
Filter op bestemming 50+ datasets Eigendomsdata in één klik Percelen CRM
Geen adressen bij dit perceel
190 m2 - 71 m
Eigenaar opvragen
ECH00-N-2 (Echt)
- Geen postcode aanwezig
4yTXcSuOuK mcK7Lq2275nV9 ahIUpgrade naar KadastraleKaart Pro
Bekijk op Street View
Download DWG/DXF/Excel
J Vrb1r9 oZ279Upgrade naar KadastraleKaart Pro
t qgUXYbt4TVUpgrade naar KadastraleKaart Pro
bUhZaANQvL8sn Upgrade naar KadastraleKaart Pro
ULKjrS lERt8tUpgrade naar KadastraleKaart Pro
z d NIJ gEorTYLfVUpgrade naar KadastraleKaart Pro
9N6 YBEG85 Gqu3nUpgrade naar KadastraleKaart Pro
2JVsiy3lAcMvXGv2CUpgrade naar KadastraleKaart Pro
3WNYVlvwqxSq6Xp1Upgrade naar KadastraleKaart Pro
NsM mG5Vi1qZXBtzcTjamOUpgrade naar KadastraleKaart Pro
RrMyYOfvaDOaKraqUpgrade naar KadastraleKaart Pro
25/04/2013

Percelen
Gebruik de zoekbalk of klik op een perceel om informatie over het perceel te bekijken.