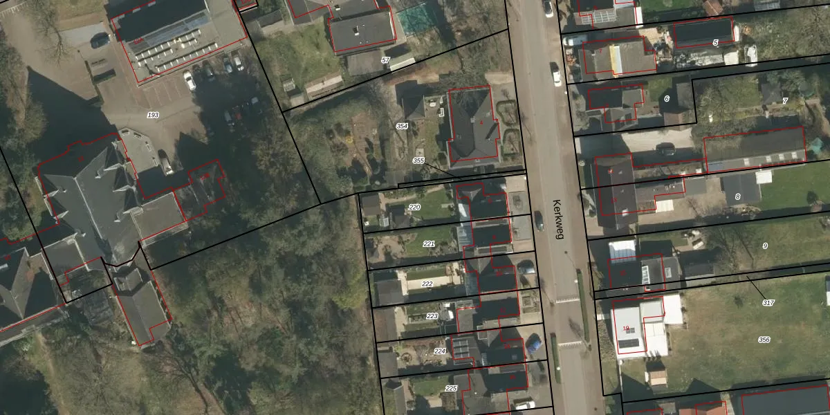
Perceel: ECH00-N-220
KadastraleKaart.com kan meer dan je denktOntdek meer ›
Filter op bestemming 50+ datasets Eigendomsdata in één klik Percelen CRM
401 m2 - 101 m
Eigenaar opvragen
ECH00-N-220 (Echt)
- 6105 CG
b34emw n4nLD6lrBhWR5MLyw93giUpgrade naar KadastraleKaart Pro
Bekijk op Street View
Download DWG/DXF/Excel
qWshqExjbsj9PEnmzikUpgrade naar KadastraleKaart Pro
9yV8VzFYbZhV7Upgrade naar KadastraleKaart Pro
zlHP05 1CJKsbEvc C UjUpgrade naar KadastraleKaart Pro
g9LuE6boh5uPEF0l6zAtaUpgrade naar KadastraleKaart Pro
vjNTFa ChUpgrade naar KadastraleKaart Pro
fog sbmYz8dUpgrade naar KadastraleKaart Pro
XLMnRmrlnDVlC Yi4 i0vSUpgrade naar KadastraleKaart Pro
KCQMM5fD6JAftLSdm38lsGdUpgrade naar KadastraleKaart Pro
2hf2TbkXhN lUpgrade naar KadastraleKaart Pro
ozz1FVQMawt NEuUpgrade naar KadastraleKaart Pro
19/03/2003

Percelen
Gebruik de zoekbalk of klik op een perceel om informatie over het perceel te bekijken.