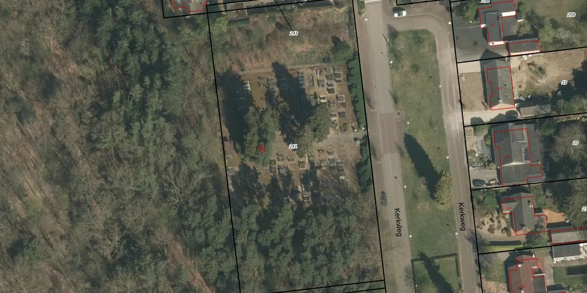
Perceel: ECH00-N-241
KadastraleKaart.com kan meer dan je denktOntdek meer ›
Filter op bestemming 50+ datasets Eigendomsdata in één klik Percelen CRM
4.860 m2 - 294 m
Eigenaar opvragen
ECH00-N-241 (Echt)
- 6105 CG
6aEfJuqXOtjHR oHf kMJD ScAxXcdUpgrade naar KadastraleKaart Pro
Bekijk op Street View
Download DWG/DXF/Excel
O5Bp FsEWnHJUpgrade naar KadastraleKaart Pro
geScxiKJanUpgrade naar KadastraleKaart Pro
bV J9YzZ4e8OdcFqfWpUpgrade naar KadastraleKaart Pro
SFXEpZ YEM6Y 8W5PpkUpgrade naar KadastraleKaart Pro
3s2ZrVKl Upgrade naar KadastraleKaart Pro
6m j90kxB92jTk6TJUpgrade naar KadastraleKaart Pro
xJ0D51ZOUQW0Upgrade naar KadastraleKaart Pro
Y6jtJyvO x4XA9 AnUpgrade naar KadastraleKaart Pro
T U5V10NpzLFKEFRUpgrade naar KadastraleKaart Pro
pUqG3rliO DruHgUpgrade naar KadastraleKaart Pro
19/03/2003

Percelen
Gebruik de zoekbalk of klik op een perceel om informatie over het perceel te bekijken.