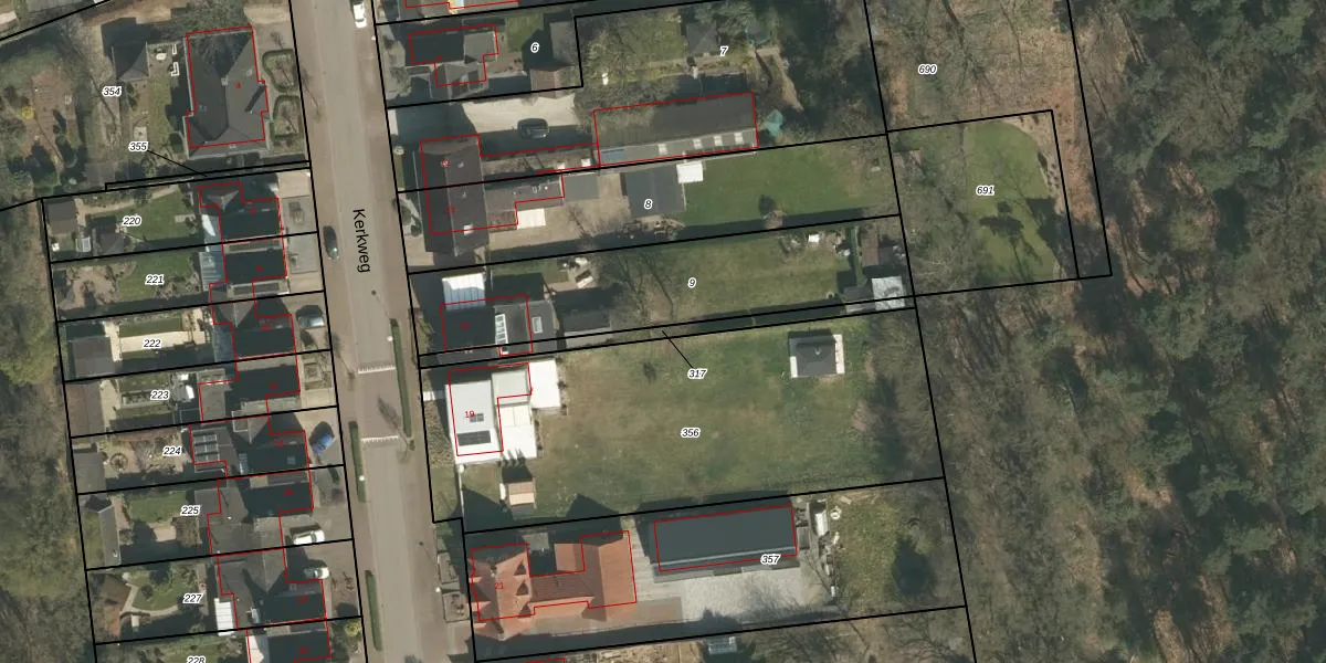
Perceel: ECH00-N-317
KadastraleKaart.com kan meer dan je denktOntdek meer ›
Filter op bestemming 50+ datasets Eigendomsdata in één klik Percelen CRM
Geen adressen bij dit perceel
150 m2 - 155 m
Eigenaar opvragen
ECH00-N-317 (Echt)
- Geen postcode aanwezig
ciAX4esMRo6Cs29L7FBfZooWiUpgrade naar KadastraleKaart Pro
Bekijk op Street View
Download DWG/DXF/Excel
r5fMk43jl kUXUpgrade naar KadastraleKaart Pro
aeqQaFcsI C 0 M CDCeOTUUpgrade naar KadastraleKaart Pro
7tWTbmfbmKDD zUpgrade naar KadastraleKaart Pro
l 5RDLbZw lDzVXikmUpgrade naar KadastraleKaart Pro
vD4g2PeteovRgwXa9EUUpgrade naar KadastraleKaart Pro
1tnOpY 4kU2JlISjUpgrade naar KadastraleKaart Pro
d3 BX6iCuf9Cs0iFRZD8 CCUpgrade naar KadastraleKaart Pro
wjDZvjuSPP g Upgrade naar KadastraleKaart Pro
a8nmY YDiZZ0W9L PLmraZUpgrade naar KadastraleKaart Pro
sAaNg3G99kVUpgrade naar KadastraleKaart Pro
09/06/2011

Percelen
Gebruik de zoekbalk of klik op een perceel om informatie over het perceel te bekijken.