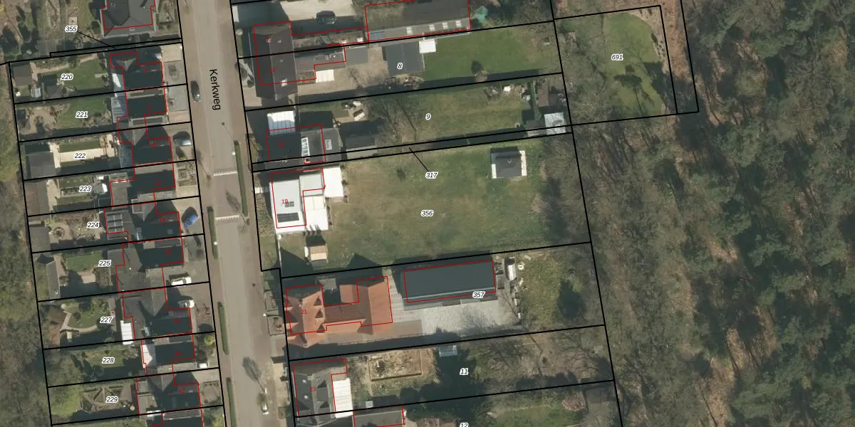
Perceel: ECH00-N-356
KadastraleKaart.com kan meer dan je denktOntdek meer ›
Filter op bestemming 50+ datasets Eigendomsdata in één klik Percelen CRM
1.960 m2 - 205 m
Eigenaar opvragen
ECH00-N-356 (Echt)
- 6105 CC
B QF36sTYYmULrj2fx7Upgrade naar KadastraleKaart Pro
Verkoopprijs opvragen
Bekijk op Street View
Download DWG/DXF/Excel
eCWDHvSAeJJJf4sBJyKLlUpgrade naar KadastraleKaart Pro
g e yfHx WgPrUrBA1AUpgrade naar KadastraleKaart Pro
Cva9E80kWj4RhUpgrade naar KadastraleKaart Pro
yVgzEECs7TOMv0Yb5upJ zUpgrade naar KadastraleKaart Pro
0nDAy3G9Upgrade naar KadastraleKaart Pro
jc0BJjwgc64jJdm48AUpgrade naar KadastraleKaart Pro
wTxV9w APkZt fBUpgrade naar KadastraleKaart Pro
22vweco3pY3s4C Syqc3GUpgrade naar KadastraleKaart Pro
TJL1HTR7tUpgrade naar KadastraleKaart Pro
hHtysVjlWWk7PzScUpgrade naar KadastraleKaart Pro
09/06/2011

Percelen
Gebruik de zoekbalk of klik op een perceel om informatie over het perceel te bekijken.