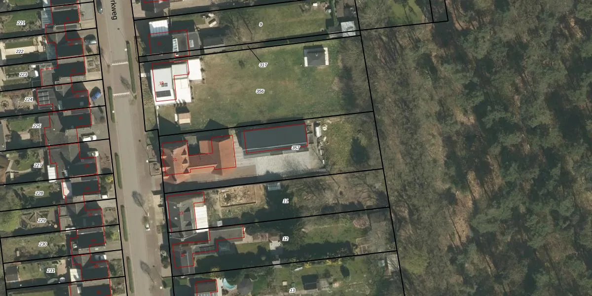
Perceel: ECH00-N-357
KadastraleKaart.com kan meer dan je denktOntdek meer ›
Filter op bestemming 50+ datasets Eigendomsdata in één klik Percelen CRM
1.445 m2 - 187 m
Eigenaar opvragen
ECH00-N-357 (Echt)
- 6105 CC
nXdlL0WTODnQUIArCEzkryPfPp9Upgrade naar KadastraleKaart Pro
Verkoopprijs opvragen
Bekijk op Street View
Download DWG/DXF/Excel
eDicNjwY3mK tvfUpgrade naar KadastraleKaart Pro
IKd1hSAco 5JioByACVsUpgrade naar KadastraleKaart Pro
Rh7WXYMmn24nUpgrade naar KadastraleKaart Pro
3y3NhxWO cMbkaUpgrade naar KadastraleKaart Pro
B O1QB cHXe h8V NLQpUpgrade naar KadastraleKaart Pro
fwy5 TBwsqEj46 UoHr aLUpgrade naar KadastraleKaart Pro
0rW4 0JPr3aQzUpgrade naar KadastraleKaart Pro
e8KXtdpXDjnUpgrade naar KadastraleKaart Pro
7MiSPlWP3EzLghQoQUpgrade naar KadastraleKaart Pro
G1xNgl0zJ7cGAvDx67Upgrade naar KadastraleKaart Pro
09/06/2011

Percelen
Gebruik de zoekbalk of klik op een perceel om informatie over het perceel te bekijken.