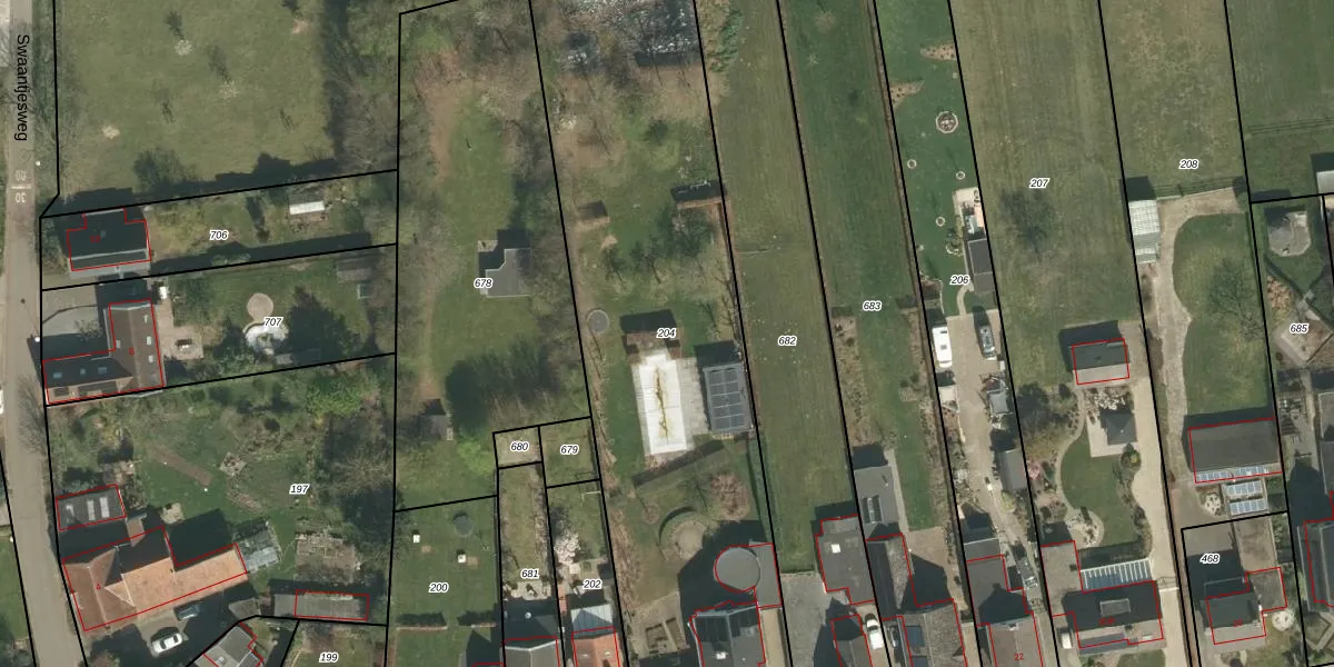
Perceel: ECH00-R-204
KadastraleKaart.com kan meer dan je denktOntdek meer ›
Filter op bestemming 50+ datasets Eigendomsdata in één klik Percelen CRM
3.100 m2 - 304 m
Eigenaar opvragen
ECH00-R-204 (Echt)
- 6101 XR
J20k8RJouWulHK YGUpgrade naar KadastraleKaart Pro
Verkoopprijs opvragen
Bekijk op Street View
Download DWG/DXF/Excel
SN76YVZbSWixNDLjXUpgrade naar KadastraleKaart Pro
9S0cOZ2AHkwz5fBpa AIvUpgrade naar KadastraleKaart Pro
OOP zj Z0KaGUpgrade naar KadastraleKaart Pro
oWMbXD09 iH Upgrade naar KadastraleKaart Pro
TSF 0ds VWUpgrade naar KadastraleKaart Pro
zmLiQxQFNVjRB8iDIUpgrade naar KadastraleKaart Pro
cJDSz4mFvCAWScUPr6kazdMUpgrade naar KadastraleKaart Pro
xdyAiIjhaV3MEYvhUpgrade naar KadastraleKaart Pro
Z2vW Q4Upgrade naar KadastraleKaart Pro
7HWO C EWIRrUpgrade naar KadastraleKaart Pro
20/08/2009

Percelen
Gebruik de zoekbalk of klik op een perceel om informatie over het perceel te bekijken.