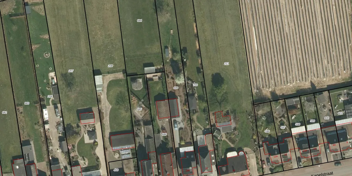
Perceel: ECH00-R-699
KadastraleKaart.com kan meer dan je denktOntdek meer ›
Filter op bestemming 50+ datasets Eigendomsdata in één klik Percelen CRM
1.433 m2 - 287 m
Eigenaar opvragen
ECH00-R-699 (Echt)
- 6101 XR
RQeCuC3MOgX2gG 3T73Upgrade naar KadastraleKaart Pro
Bekijk op Street View
Download DWG/DXF/Excel
rArcZeqjwQyUpgrade naar KadastraleKaart Pro
9 pozjRIUpgrade naar KadastraleKaart Pro
zyrA QjmxZ3AiUpgrade naar KadastraleKaart Pro
0vls0ykwbiRhedUpgrade naar KadastraleKaart Pro
r1UdmnG11Ng7UYO7x h52Upgrade naar KadastraleKaart Pro
xVUMo IedtUpgrade naar KadastraleKaart Pro
l8 OY3OlUpgrade naar KadastraleKaart Pro
5VoBOR hQ8Upgrade naar KadastraleKaart Pro
qkNYd0dvpZzH1YP0t8aHiUpgrade naar KadastraleKaart Pro
IPpG6 Ap JXBj741glOTCUpgrade naar KadastraleKaart Pro
20/08/2009

Percelen
Gebruik de zoekbalk of klik op een perceel om informatie over het perceel te bekijken.