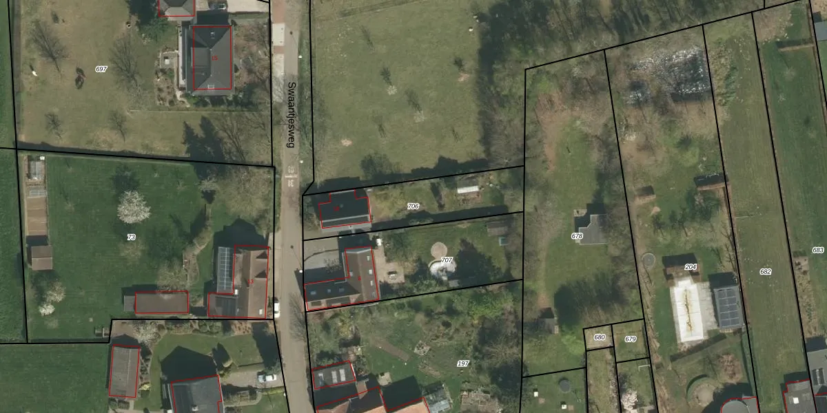
Perceel: ECH00-R-706
KadastraleKaart.com kan meer dan je denktOntdek meer ›
Filter op bestemming 50+ datasets Eigendomsdata in één klik Percelen CRM
590 m2 - 130 m
Eigenaar opvragen
ECH00-R-706 (Echt)
- 6101 XN
xL7lcyozOLTY6KoF7Tk6RUpgrade naar KadastraleKaart Pro
Bekijk op Street View
Download DWG/DXF/Excel
W GPzWKIf5hgCpz2VXCUpgrade naar KadastraleKaart Pro
PjUTrz7Ub dUpgrade naar KadastraleKaart Pro
6rm7c3fw KOtUpgrade naar KadastraleKaart Pro
aXEK pd2diLq9XmBVJcUpgrade naar KadastraleKaart Pro
wCyK P9 TpZrw9IUpgrade naar KadastraleKaart Pro
Hj E55eFiGUpgrade naar KadastraleKaart Pro
PS4k12zv2LNUpgrade naar KadastraleKaart Pro
rGcFxnwmUpgrade naar KadastraleKaart Pro
Ndicz 1Y0GZS gsevWqVfsRUpgrade naar KadastraleKaart Pro
cS 04dsMWyQV0R9ovwUpgrade naar KadastraleKaart Pro
04/09/2009

Percelen
Gebruik de zoekbalk of klik op een perceel om informatie over het perceel te bekijken.