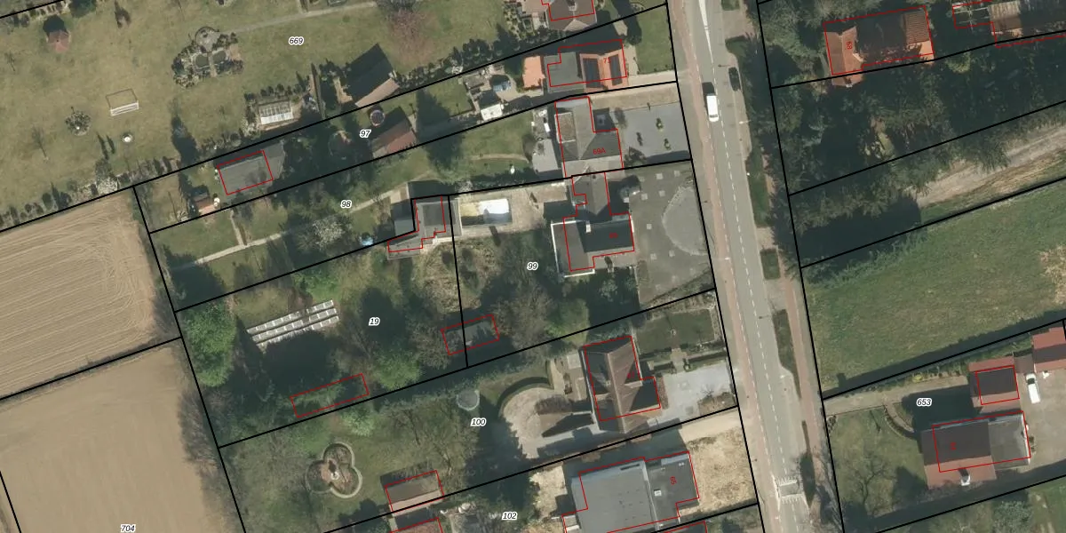
Perceel: ECH00-R-99
KadastraleKaart.com kan meer dan je denktOntdek meer ›
Filter op bestemming 50+ datasets Eigendomsdata in één klik Percelen CRM
1.350 m2 - 152 m
Eigenaar opvragen
ECH00-R-99 (Echt)
- 6101 XV
8E KrCtcF 1nQAAmp UQ1Upgrade naar KadastraleKaart Pro
Verkoopprijs opvragen
Bekijk op Street View
Download DWG/DXF/Excel
tUztvAHingB3KUpgrade naar KadastraleKaart Pro
Y qfJg e tUlZZd5AyY2Upgrade naar KadastraleKaart Pro
A0Z1NA E88Jal7CWz8dUpgrade naar KadastraleKaart Pro
D4PdSnHB 9NUpgrade naar KadastraleKaart Pro
rS5FGr7FUpgrade naar KadastraleKaart Pro
J2KwVnYxgx3CT qVlpeg9HSUpgrade naar KadastraleKaart Pro
B279PFh26YT7 U6luUpgrade naar KadastraleKaart Pro
tM2 Ay7Ba7YoEsfYEwMvUpgrade naar KadastraleKaart Pro
D Riw1R0zO8mzLIsW27RUpgrade naar KadastraleKaart Pro
ovjVu6amUpgrade naar KadastraleKaart Pro
12/10/2011

Percelen
Gebruik de zoekbalk of klik op een perceel om informatie over het perceel te bekijken.