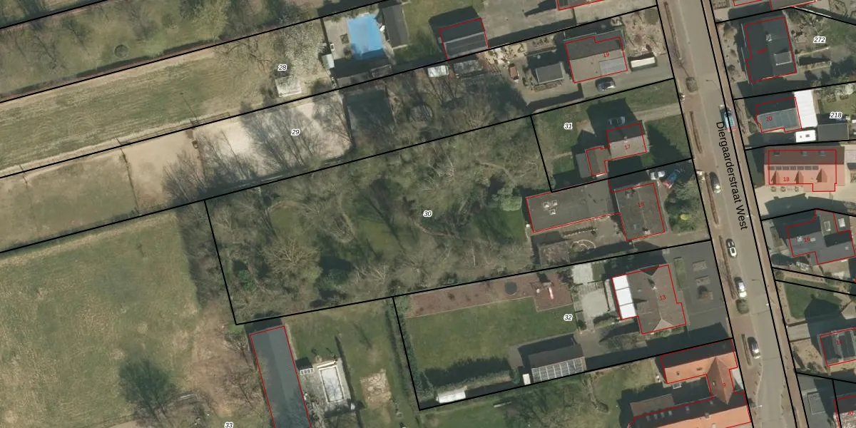
Perceel: ECH00-X-30
KadastraleKaart.com kan meer dan je denktOntdek meer ›
Filter op bestemming 50+ datasets Eigendomsdata in één klik Percelen CRM
3.240 m2 - 294 m
Eigenaar opvragen
ECH00-X-30 (Echt)
- 6105 CJ
UbK9wDfy2x2 cO9XxTAN68 vxmvVZKUpgrade naar KadastraleKaart Pro
Verkoopprijs opvragen
Bekijk op Street View
Download DWG/DXF/Excel
kfb1pUpb2z 2 IUpgrade naar KadastraleKaart Pro
0mEf5FfmvGF7iBBJsPJKUpgrade naar KadastraleKaart Pro
JqkQHqK Mp9bDJEYk1Upgrade naar KadastraleKaart Pro
YYOtFBZO brnUpgrade naar KadastraleKaart Pro
NduJ08HWG0cWPfN54xP Upgrade naar KadastraleKaart Pro
PVBhX4aQ TMivUpgrade naar KadastraleKaart Pro
AyTYB3rPsK2Upgrade naar KadastraleKaart Pro
6kyFiv ER4zRdAYnFG7 XC1Upgrade naar KadastraleKaart Pro
J70GFyWsCVZzUpgrade naar KadastraleKaart Pro
H85zJZ62Upgrade naar KadastraleKaart Pro
21/07/2011

Percelen
Gebruik de zoekbalk of klik op een perceel om informatie over het perceel te bekijken.