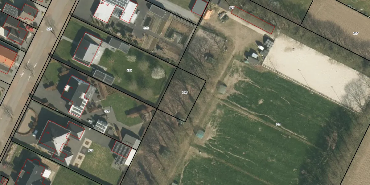
Perceel: ECH00-Y-708
KadastraleKaart.com kan meer dan je denktOntdek meer ›
Filter op bestemming 50+ datasets Eigendomsdata in één klik Percelen CRM
Geen adressen bij dit perceel
426 m2 - 84 m
Eigenaar opvragen
ECH00-Y-708 (Echt)
- Geen postcode aanwezig
gxZqBQFd9NTl8wfuiKCNShq2SruYUpgrade naar KadastraleKaart Pro
Bekijk op Street View
Download DWG/DXF/Excel
zeBz9s4NDcMWAQBB M0QPUpgrade naar KadastraleKaart Pro
Yut YpHnCBTFQxp Upgrade naar KadastraleKaart Pro
mYjvcNt 2Y1 aFxXh Upgrade naar KadastraleKaart Pro
iPvjUHMsUpgrade naar KadastraleKaart Pro
Z2xRIHDWgGUpgrade naar KadastraleKaart Pro
gc6DCifawC rtbVUpgrade naar KadastraleKaart Pro
GlXv0O6izUpgrade naar KadastraleKaart Pro
K0R43eLSe Upgrade naar KadastraleKaart Pro
efOb3sKOgNOXk bUpgrade naar KadastraleKaart Pro
qiXUi 8vaGbx IW 86Upgrade naar KadastraleKaart Pro
12/03/2026

Percelen
Gebruik de zoekbalk of klik op een perceel om informatie over het perceel te bekijken.