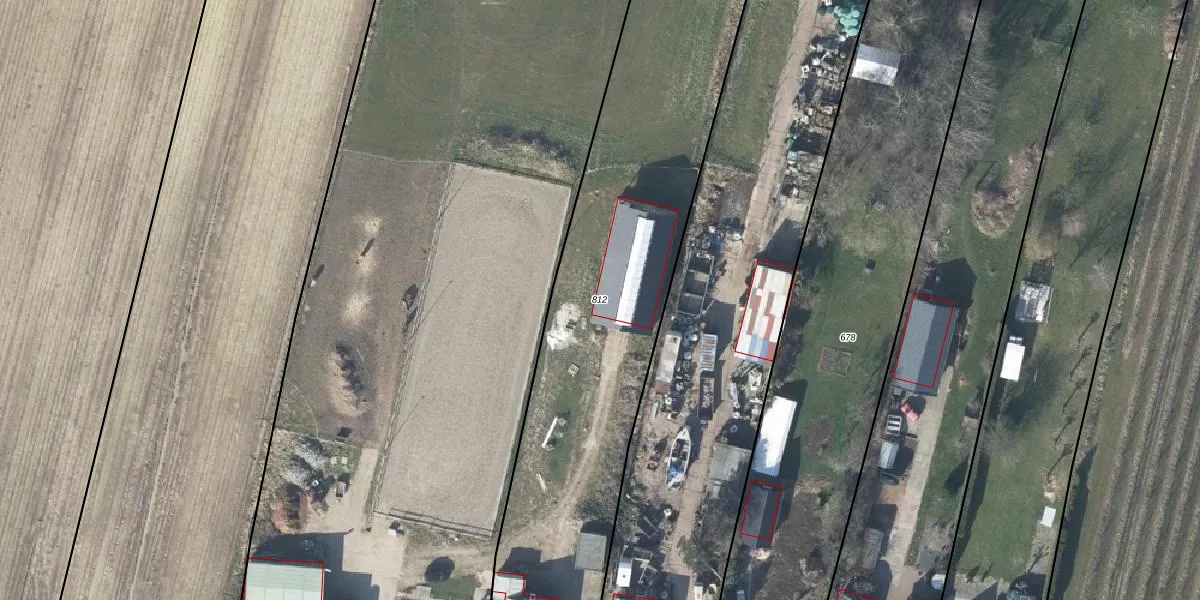
Perceel: ECK00-D-812
KadastraleKaart.com kan meer dan je denktOntdek meer ›
Filter op bestemming 50+ datasets Eigendomsdata in één klik Percelen CRM
3.050 m2 - 378 m
Eigenaar opvragen
ECK00-D-812 (Eck en Wiel)
- 4024 HG
MTu0YKFLjSnNUr8 A WCQ b7Upgrade naar KadastraleKaart Pro
Verkoopprijs opvragen
Bekijk op Street View
Download DWG/DXF/Excel
dtx 8zIBp0bV3GyLanUpgrade naar KadastraleKaart Pro
ofnczaSAhUpgrade naar KadastraleKaart Pro
EtJld3L K WJbwIUpgrade naar KadastraleKaart Pro
InC9wV rYUfESFUpgrade naar KadastraleKaart Pro
J IHQSC7 gyt0clAUpgrade naar KadastraleKaart Pro
EanRDXbjFU i1 SUpgrade naar KadastraleKaart Pro
L b6vW4Bn6SgyfKuprUpgrade naar KadastraleKaart Pro
cjSbG0rwitzm aF2Apz FUpgrade naar KadastraleKaart Pro
aa T S Jl2 PnwUpgrade naar KadastraleKaart Pro
bXhv7RqeIbqR9 AdtmzlUpgrade naar KadastraleKaart Pro
05/04/2001

Percelen
Gebruik de zoekbalk of klik op een perceel om informatie over het perceel te bekijken.