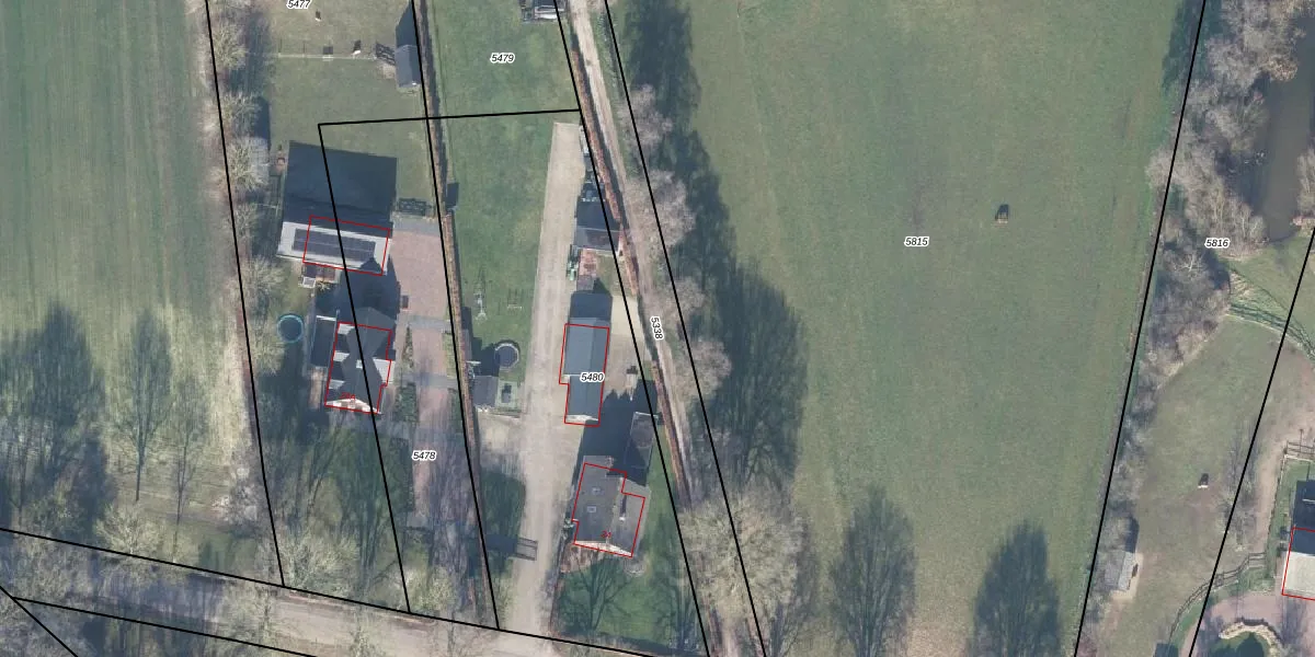
Perceel: EDE01-B-5338
KadastraleKaart.com kan meer dan je denktOntdek meer ›
Filter op bestemming 50+ datasets Eigendomsdata in één klik Percelen CRM
Geen adressen bij dit perceel
1.030 m2 - 271 m
Eigenaar opvragen
EDE01-B-5338 (Ede)
- Geen postcode aanwezig
m fIr5K31snUxVV 2Tkt4P3XO Upgrade naar KadastraleKaart Pro
Bekijk op Street View
Download DWG/DXF/Excel
0I60G29 mWWyAH6Xwbf8WNnUpgrade naar KadastraleKaart Pro
Hl8GqmNe S7R1qc hc8bUpgrade naar KadastraleKaart Pro
e7i 5fDZ sZ qKbBieUpgrade naar KadastraleKaart Pro
T 9zEfvkWf0dCKb e2hCsCUpgrade naar KadastraleKaart Pro
cboJA8p0QxS 4byqFsboUpgrade naar KadastraleKaart Pro
MkJ MNQ5Q3BVTQ lCCP0aUpgrade naar KadastraleKaart Pro
osdWWF dUp0AschSUpgrade naar KadastraleKaart Pro
ph GL7QGXoUpgrade naar KadastraleKaart Pro
H9TpKAFkVUpgrade naar KadastraleKaart Pro
L3NHtxr7DsY19ypYCUpgrade naar KadastraleKaart Pro
12/01/2012

Percelen
Gebruik de zoekbalk of klik op een perceel om informatie over het perceel te bekijken.