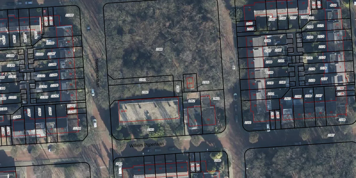
Perceel: EDE01-C-2389
KadastraleKaart.com kan meer dan je denktOntdek meer ›
Filter op bestemming 50+ datasets Eigendomsdata in één klik Percelen CRM
Geen adressen bij dit perceel
40 m2 - 27 m
Eigenaar opvragen
EDE01-C-2389 (Ede)
- Geen postcode aanwezig
hXQfIudDTH5CO7DJkBA48mshx9t c9 Upgrade naar KadastraleKaart Pro
Bekijk op Street View
Download DWG/DXF/Excel
ht5 QHcV rvgUpgrade naar KadastraleKaart Pro
aeTy8htZ5Upgrade naar KadastraleKaart Pro
R6I1MJfbDHnVUpgrade naar KadastraleKaart Pro
rLgKD3JG1 E6jpNUpgrade naar KadastraleKaart Pro
V l aDwZL5JdUpgrade naar KadastraleKaart Pro
TZYJluKUXgtXQUpgrade naar KadastraleKaart Pro
20fK0zQwv8KifUpgrade naar KadastraleKaart Pro
D11jHoDi51kUpgrade naar KadastraleKaart Pro
bLsb BeQN4ZV FEYiuB Upgrade naar KadastraleKaart Pro
m0EEKBmpdnlmFUIix8ND7r4Upgrade naar KadastraleKaart Pro
19/11/2002

Percelen
Gebruik de zoekbalk of klik op een perceel om informatie over het perceel te bekijken.