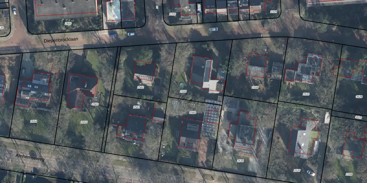
Perceel: EDE01-C-2559
KadastraleKaart.com kan meer dan je denktOntdek meer ›
Filter op bestemming 50+ datasets Eigendomsdata in één klik Percelen CRM
979 m2 - 127 m
Eigenaar opvragen
EDE01-C-2559 (Ede)
- 6711 GN
IzaP4UiM7n3qd76HIh9JnLUUpgrade naar KadastraleKaart Pro
Verkoopprijs opvragen
Bekijk op Street View
Download DWG/DXF/Excel
pYXdfX YDmOP8 jUpgrade naar KadastraleKaart Pro
0VZpb wD xPwaUpgrade naar KadastraleKaart Pro
CnFjAP34LyveS7 r6hOPw0Upgrade naar KadastraleKaart Pro
TCflPbwNaTM j6H3BX4ggCxUpgrade naar KadastraleKaart Pro
unc36ZADyxeeDTFbKA lAUpgrade naar KadastraleKaart Pro
xUNdOmlS73vmhFUpgrade naar KadastraleKaart Pro
Z97LtrBp3UtYHUpgrade naar KadastraleKaart Pro
NStbQm1MlUpgrade naar KadastraleKaart Pro
rMMM9cQXSTy0 i0XWLUozHJUpgrade naar KadastraleKaart Pro
5juBehm P2BxHUpgrade naar KadastraleKaart Pro
19/11/2002

Percelen
Gebruik de zoekbalk of klik op een perceel om informatie over het perceel te bekijken.