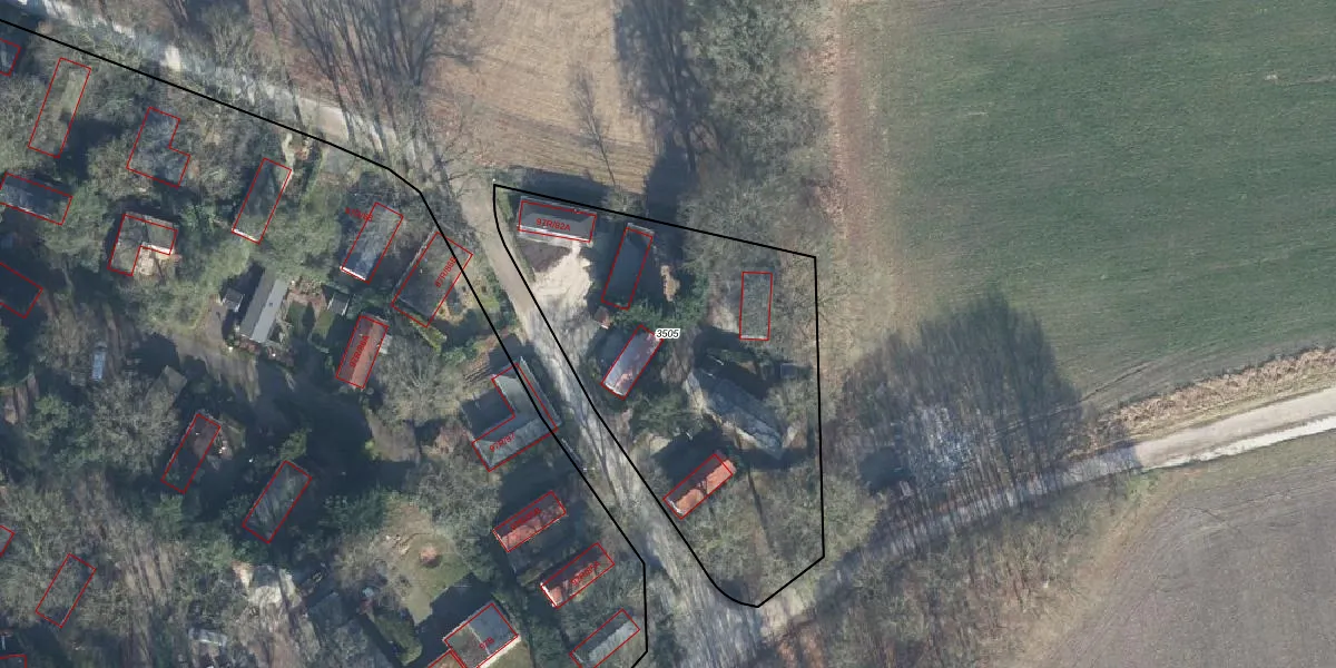
Perceel: EDE01-C-3505
KadastraleKaart.com kan meer dan je denktOntdek meer ›
Filter op bestemming 50+ datasets Eigendomsdata in één klik Percelen CRM
1.821 m2 - 183 m
Eigenaar opvragen
EDE01-C-3505 (Ede)
- 6718 SM
XmG9cHdRatk ZBmOzVdrd myjrUpgrade naar KadastraleKaart Pro
Bekijk op Street View
Download DWG/DXF/Excel
bESGNhXIkkUpgrade naar KadastraleKaart Pro
Ck vf B98DNG8mzM8BMRjW7Upgrade naar KadastraleKaart Pro
pk0 2dqQMdXTZUpgrade naar KadastraleKaart Pro
g8xWAJ5FWBBwogrC8nUpgrade naar KadastraleKaart Pro
Ve4XRaY p fvz8ytUpgrade naar KadastraleKaart Pro
ZLbO9JrXXYUFYuUpgrade naar KadastraleKaart Pro
Qx0tz5jlyKMreYXUpgrade naar KadastraleKaart Pro
QBk5jxG8KqqfwWUpgrade naar KadastraleKaart Pro
R yfe2 KpbDcUpgrade naar KadastraleKaart Pro
m M 7NupXftxRSUpgrade naar KadastraleKaart Pro
08/09/2003

Percelen
Gebruik de zoekbalk of klik op een perceel om informatie over het perceel te bekijken.